Sign up
Log in
Results
View all 4 pictures

Is this your property? Sell it faster with premium placement and targeted ads.

LAND - Webster, NY

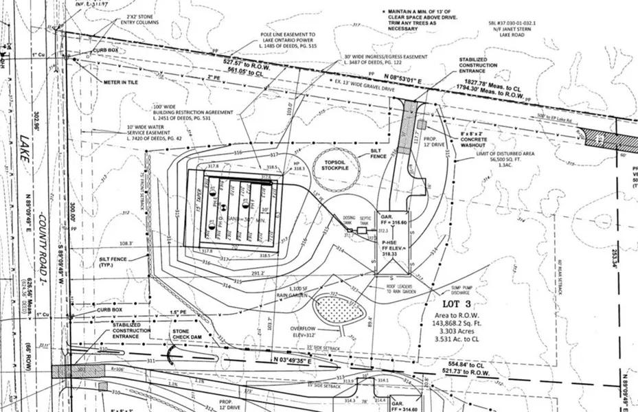
Discover the perfect blend of privacy, space, and convenience on this approved 3.5-acre building lot - ready for your dream home! This expansive parcel offers a serene setting surrounded by nature, yet is conveniently located close to local amenities, schools, and major routes for easy commuting. The property has approved building plans/permits and ample room for a custom home, garage, pool, or outdoor living spaces. Whether you envision a modern farmhouse, country estate, or cozy retreat, this lot provides the flexibility and freedom to make it your own. Seller has architectural review of house to be built. Taxes and assessed value TBD due to split from another parcel. This is a shared driveway with a filed easement.

Copyright © 2025 New York State Alliance of MLSs, LLC. All rights reserved. All information provided by the listing agent/broker is deemed reliable but is not guaranteed and...

Read More

From elevation to risk assessment

Search for detailed parcel information including; Elevation & Vegetation Maps, Ownership Information, Detailed Parcel Information, Crop History Map, Soil Survey Productivity Data, and more.

Research Parcel Information

Unlock the full LandWatch experience

Have an account?Sign In

Contact Seller

Dixon & Carr Realty

License #40SW1007599

Ontario, NY

(585) 721-8256

Edward Swingly

Dixon & Carr Realty
View Phone Number
By clicking the button, you agree to our Terms of Use and Privacy Policy.

Is this your property? Sell it faster with premium placement and targeted ads.

Provided By

Dixon & Carr Realty, (315) 524-5558
Source: ListHub, MLS# R1647004
Listing status: Active
Listing last updated: October 24, 2025 at 3:48 PM
Listing last checked: October 24, 2025 at 2:30 PM
Report this listing

Other Land for Sale in Monroe County