Sign up
Log in
Results
View all 9 pictures
Off Market
$69,700

Chesterhill, OH 43728(Morgan County)

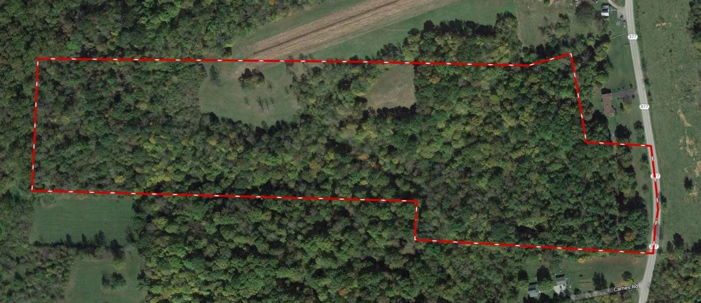
Size: 27 Acres

27 Acres in Chesterhill, OH - $69,700

28+/- acres located in Marion Township Morgan County Ohio. Easy access off of State Route 377 with public water and natural gas available. This property has been timbered with second growth returning. Logging roads provide great access for your equipment or ATV. Abundant whitetail sign indicating high deer density. This land is a nice recreational offering with good locations for food plots.

From elevation to risk assessment

Search for detailed parcel information including; Elevation & Vegetation Maps, Ownership Information, Detailed Parcel Information, Crop History Map, Soil Survey Productivity Data, and more.

Research Parcel Information

Directions

Take State Route 377 North from Chesterhill, drive 2.2 miles, land on left.

Contact Seller
BEN SCHAFER REALTY

CALDWELL, OH

(614) 333-0694