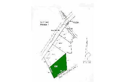
This is a nice tract of land suitable for development and would be a good investment opportunity. This lot is located on north side of old Mississippi highway 16, east of Mississippi Highway 15 bypass and in the Williamsville community of Philadelphia, Mississippi, zoned C-3 highway commercial, has city utilities available. It would be ideal for retail businesses such as, grocery or convenience stores, restaurants, Pharmacies or similar businesses. Property would be good for a shopping center or automobile dealership if purchased with one or more adjoining lots. The lot size may vary based on the need and the sales price may change according to the square footage required by the Buyer A tire dealership, chain building supply store, motels, medical clinic and a large general merchandise store are located nearby. The family owned general store and other businesses generate a high vo...
This is a nice tract of land suitable for development and would be a good investment opportunity. This lot is located on north side of old Mississippi highway 16, east of Mississippi Highway 15 bypass and in the Williamsville community of Philadelphia, Mississippi, zoned C-3 highway commercial, has city utilities available. It would be ideal for retail businesses such as, grocery or convenience stores, restaurants, Pharmacies or similar businesses. Property would be good for a shopping center or automobile dealership if purchased with one or more adjoining lots. The lot size may vary based on the need and the sales price may change according to the square footage required by the Buyer A tire dealership, chain building supply store, motels, medical clinic and a large general merchandise store are located nearby. The family owned general store and other businesses generate a high volume of traffic in the area. Owner plans to reserve enough footage along the western boundary for a street to access adjoining property. See proposed plot plan in this Listing. For more information email the Listing Agent at [Email listed above] or call 601-573-4006 or call ben at 601-575-0972 or email him at [Email listed above].
Search for detailed parcel information including; Elevation & Vegetation Maps, Ownership Information, Detailed Parcel Information, Crop History Map, Soil Survey Productivity Data, and more.
Research Parcel Information