FARMLAND AUCTION
+/- 66.18 Acres offered in 2 Tracts
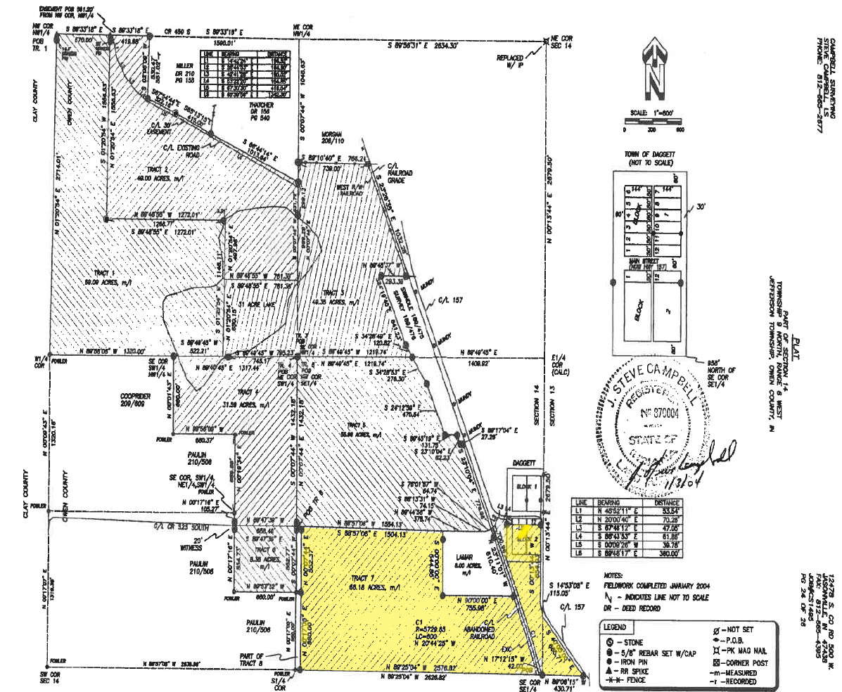
Jefferson TWP. Owen County, IN.
Auction Time & Date:
Saturday, 10:00 AM EST, April 8th
Auction Location:
Glory Days Restaurant
802 Main St, Clay City, IN 47841
Farm is located 1 mile south of Coal City, IN
Corner of State HWY 157 and Schafer Rd.
Part of section 13 and section 14, T9N R6W, Jefferson TWP. Owen County, IN.
The farm consist of two Assessor PIN #s: 60-14-14-300-230.000-020; and 60-14-13-300-080.000-020.
Open Farm Tenancy for 2023
Immediate pre close possession for farm operators.
Excellent whitetail deer, turkey, quail, and small game hunting.
Potential pasture for livestock.
Large acreage build sites.
T1: +/- 54.87 acres consisting of +/- 43.61 tillable acres, 40.1 NCCPI soil rating.
Pre close possession for farm operators.
Frontage along Schafer Rd.
Estimated Real Estate tax usi...
Estimated Real Estate tax using 2022 payable 2023 figures: $768.73
T1 is a split out of Assessor parcel #: 60-14-14-300-230.000-020.
T2: +/- 11.31 acres mainly all wooded with 2 shallow water ponds.
Excellent recreational property.
Frontage along Schafer Rd and State HWY 157.
Estimated Real Estate tax using 2022 payable 2023 figures: $170.67
T2 consist of assessor parcel #: 60-14-13-300-080.000-020 and a split out of
60-14-14-300-230.000-020.
A new survey shall be provided where there is no existing legal description. Any need for a new survey shall be determined solely by the seller. The cost of a new survey will be split equally between buyer and seller. The type of survey performed shall be at the sellers option and sufficient for providing title insurance. The final sale price will be the high bid amount, divided by the advertised acres of the tract, multiplied times the final surveyed acres of the tract.
Contact Travis Selby for additional information.
217-304-1686
IN Auctioneer AU1070091
IN Broker RB1404432
Auction Terms and Conditions:
Procedure: Property will be offered as two individual tracts and as a combination. Bidding will remain open until auctioneer announces bidding closed.
The auction will be conducted publicly, online bidding available for pre-registered online bidders during the live event.
Online Bidding Procedure: Online pre-bidding begins Wednesday, April 5th, 2023, at 8:00 AM closing Saturday, April 8th, 2023, at the close of the live event.
All bids on the tracts will be visible online, the identity of the bidders is confidential.
Server and Software Technical Issues: In the event there are technical difficulties related to the server, software, or any other online auction-related technologies, Ag Exchange reserves the right to extend bidding, continue the bidding, or close the bidding. Neither the company providing the software nor Ag Exchange shall be held responsible for a missed bid or the failure of the software to function properly for any reason. E-mail notification will be sent to registered bidders with updated information as deemed necessary by Ag Exchange.
BIDDING IS NOT CONDITIONAL UPON FINANCING.
This sale is subject to Owners confirmation. Owner reserves the right to accept or reject any and all bids.
Acceptance of Bid Prices/Contracts: All successful bidders will sign a sale contract at the auction site immediately following the close of the bidding. Copies of such contracts are available for review at the office of the auctioneer.
Down Payment: A 10% earnest money deposit of the total contract purchase price will be due immediately after being declared the buyer. The down payment may be paid in the form of a personal check, business check, or cashiers check. The balance of the contract purchase price is due at closing.
Closing: Closing shall take place 30 days after auction day, or as soon thereafter as applicable closing documents are completed. Anticipated closing date is on or before May 10th, 2023.
Possession: Open farm tenancy for 2023 crop year. Farm operators will have the right to enter the farm upon the deposit of the 10% down payment allowing the operator the right to perform customary tillage / fertilizer application / planting prior to closing.
Survey: A new survey shall be provided where there is no existing legal description. Any need for a new survey shall be determined solely by the seller. The cost of a new survey will be split equally between buyer and seller. The type of survey performed shall be at the sellers option and sufficient for providing title insurance. The final sale price will be the high bid amount times the final surveyed acres.
Title: Sellers shall provide an Owners Policy of Title Insurance in the amount of the purchase price and shall execute a warranty deed conveying to the buyer(s). Sellers shall pay the premium for the Title Insurance Policy and the sellers search charges. Commitments for Title Insurance will be available for review at the office of the auctioneer and at the auction site. Bidders shall be deemed to have reviewed and approved the Title Commitments by submitting bids.
Real Estate Taxes and Assessments: Seller shall pay 100% of the 2022 real estate tax due and payable 2023.
Buyer shall be responsible for 100% of the 2023 real estate tax due and payable in 2024.
Mineral Rights: The sale of the property shall include all mineral rights owned by the seller, if any.
Agency: Ag Exchange Inc. and its representatives are Exclusive Agents of the Seller.
Disclaimer and Absence of Warranties: All information contained in this brochure and all related materials are subject to the terms and conditions outlined in the sales contract.
ANNOUNCEMENTS MADE BY THE AUCTIONEER AT THE AUCTION PODIUM DURING THE TIME OF THE SALE WILL TAKE PRECEDENCE OVER ANY PREVIOUSLY PRINTED MATERIAL OR ANY OTHER ORAL STATEMENTS MADE.
The property is being sold on an as is basis, and no warranty or representation either expressed or implied, concerning the condition of the property is made by the seller or the auction company. Each potential bidder is responsible for conducting his or her own independent inspections, investigations, inquiries, and due diligence concerning this property. The information contained in this brochure is believed to be accurate but is subject to verification by all parties relying on it. No liability for its accuracy, errors or omissions is assumed by the sellers or the auction company. All sketches and dimensions in this brochure are approximate. Photographs are used for illustrative purposes only. Conduct at the auction and increments of the bidding are at the discretion of the auctioneer. The sellers and the auction company reserve the right to preclude any person from bidding and to remove any person from the auction if there is any question as to the persons credentials, fitness, conduct, etc. All decisions of the auctioneer are final.
Seller: Chris Worland
Search for detailed parcel information including; Elevation & Vegetation Maps, Ownership Information, Detailed Parcel Information, Crop History Map, Soil Survey Productivity Data, and more.
Research Parcel InformationFarm is located 1 mile south of Coal City, IN
Corner of State HWY 157 and Schafer Rd.
45 minutes southeast of Terre Haute, IN. 1 hr southwest of Indianapolis International Airport, 50 minutes west of Bloomington, IN.
Part of section 13 and section 14, T9N R6W, Jefferson TWP. Owen County, IN.
The farm consist of two Assessor PIN #s: 60-14-14-300-230.000-020; and 60-14-13-300-080.000-020.
Contact Travis Selby 217.304.1686