This 5 acre property is the perfect getaway spot if youre looking to spend some time fishing at Spinney Reservoir, which can be seen from the property (less than 3.5 miles south), or Eleven Mile Reservoir (less than 9 miles southeast). Its also located ~1/4 mile off of Hwy 24 providing better year round access than many properties. With Spinney in sight to the south and snow capped peaks to the west, this property is the escape youve been waiting for!
Owner financing available on all properties and everyone qualifies. We also include a 15% prepayment discount if you want to pay off early and save! Contact us or check out our site for more information on available options.
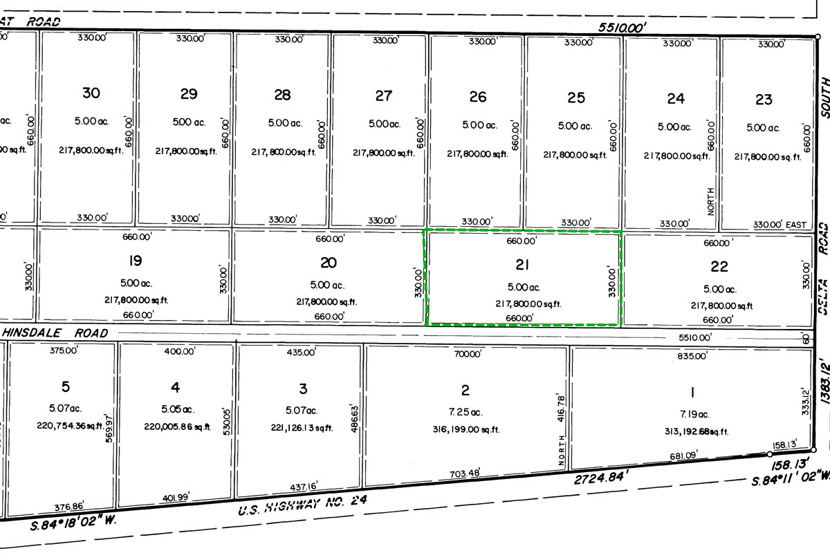
SUBDIVISION: SOUTH PARK RANCHES
ADDRESS: 4819 HINSDALE RD, HARTSEL, CO 80449
SIZE: 5 acres
APN: 27632
LEGAL DESCRIPTION: Filing 33, Parcel 21 of South Park Ranches located in Park County, State of Colorado, as per s...
LEGAL DESCRIPTION: Filing 33, Parcel 21 of South Park Ranches located in Park County, State of Colorado, as per survey map recorded in the County Recorders Office at Fairplay, Colorado, County of Park, State of Colorado.
APPROX. GPS COORDINATES:
NW: 39.046978, -105.682580
NE: 39.046982, -105.680264
SE: 39.046085, -105.680257
SW: 39.046081, -105.682583
APPROX. ELEVATION: 8,822 ft.
ZONING: Residential
CAMPING & RVs: Both RV and Tent Short Term
IMPROVEMENTS: None
ANNUAL TAXES: Approx. $119
HOA/POA FEES: None
SEWER: Would need septic system if building.
WATER: Would be by well, holding tank or other similar option.
UTILITIES: Solar or generator best options for electricity. Gas by propane tank. Phone by cellular.
ACCESS: County dirt road. Accessible by car weather permitting or with four-wheel drive vehicle in inclement weather.
Search for detailed parcel information including; Elevation & Vegetation Maps, Ownership Information, Detailed Parcel Information, Crop History Map, Soil Survey Productivity Data, and more.
Research Parcel InformationFrom Hartsel:
Take US-24 E and drive for 6.6 miles.
Turn left onto Delta St and drive for 417 feet.
Take your first left onto Hinsdale Dr.
4819 Hinsdale Rd will be on the right/north side after 0.2 miles.