Secure your own private getaway with nothing but peace and quiet and solitude! This 4.9 acre parcel features beautiful wide open views of snow covered mountain peaks and rolling hills. It is only 2 miles from Pike National Forest to the east and is located about 23 miles south of Hartsel. From the road the land slopes up toward the west/back side of the property and then levels out providing the best views from the back half of the property. This is a perfect place to escape from the craziness of city life with all of the people and noise and take in the serenity of nature!
Owner financing available on all properties and everyone qualifies. We also include a 15% prepayment discount if you want to pay off early and save! Contact us or check out our site for more information on available options.
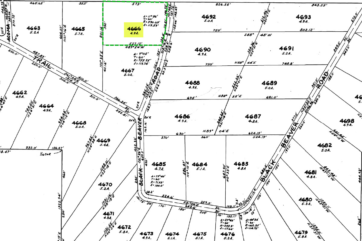
SUBDIVISION: ESTATES OF COLORADO
ADDRESS: BLACK BEAVER TRL, HARTSEL, CO 80449
SIZE: 4.9 ac...
SIZE: 4.9 acres
APN: R0009675
LEGAL DESCRIPTION: Lot 4666 of Unit 92 of Estates of Colorado as shown on the Plat of said Subdivision recorded October 5, 1970 at Reception No. 182621, in County of Park, State of Colorado.
APPROX. GPS COORDINATES:
NW: 38.803136, -105.735441
NE: 38.803119, -105.733410
SE: 38.802093, -105.733620
SW: 38.802083, -105.735456
APPROX. ELEVATION: 9,677 ft
ZONING: Residential
CAMPING & RVs: Both RV and Tent Short Term
IMPROVEMENTS: None
ANNUAL TAXES: Approx. $175
HOA/POA FEES: None
SEWER: Would need septic system if building.
WATER: Would be by well, holding tank or other similar option.
UTILITIES: Solar or generator best options for electricity. Gas by propane tank. Phone by cellular.
ACCESS: County dirt road. Accessible by car weather permitting or with four-wheel drive vehicle in inclement weather.
Search for detailed parcel information including; Elevation & Vegetation Maps, Ownership Information, Detailed Parcel Information, Crop History Map, Soil Survey Productivity Data, and more.
Research Parcel InformationFrom Hartsel:
Take US-24 E and drive for 0.1 mi.
Turn right onto CO-9 S and continue for 2.0 mi.
Turn right onto Co Rd 53 and drive for 13.6 mi.
Keep left to continue on Pawnee Trail for 0.7 mi.
Continue onto Es25/Watonga Rd for 1.2 mi.
Continue onto Watonga Trail for 0.1 mi.
Continue onto Odako Trail for 0.2 mi.
Continue straight onto Santee Trail for 0.5 mi.
Turn right onto Black Beaver Trail and the land will be on the right/west side of the road after 0.3 mi.