Take in the amazing views on this 5 acre property located about 3 miles northeast of Hartsel and only 12 miles to your favorite fishing spot at Spinney Reservoir. This property is fairly flat providing numerous locations for setting up base camp or for your future cabin. Its located just off a snow plow route at Washington St as well offering better year round access. Escape the confines of the city and come find your perfect camping spot with tremendous views of the valley and snow capped mountain tops!
Owner financing available on all properties and everyone qualifies. We also include a 15% prepayment discount if you want to pay off early and save! Contact us or check out our site for more information on available options.
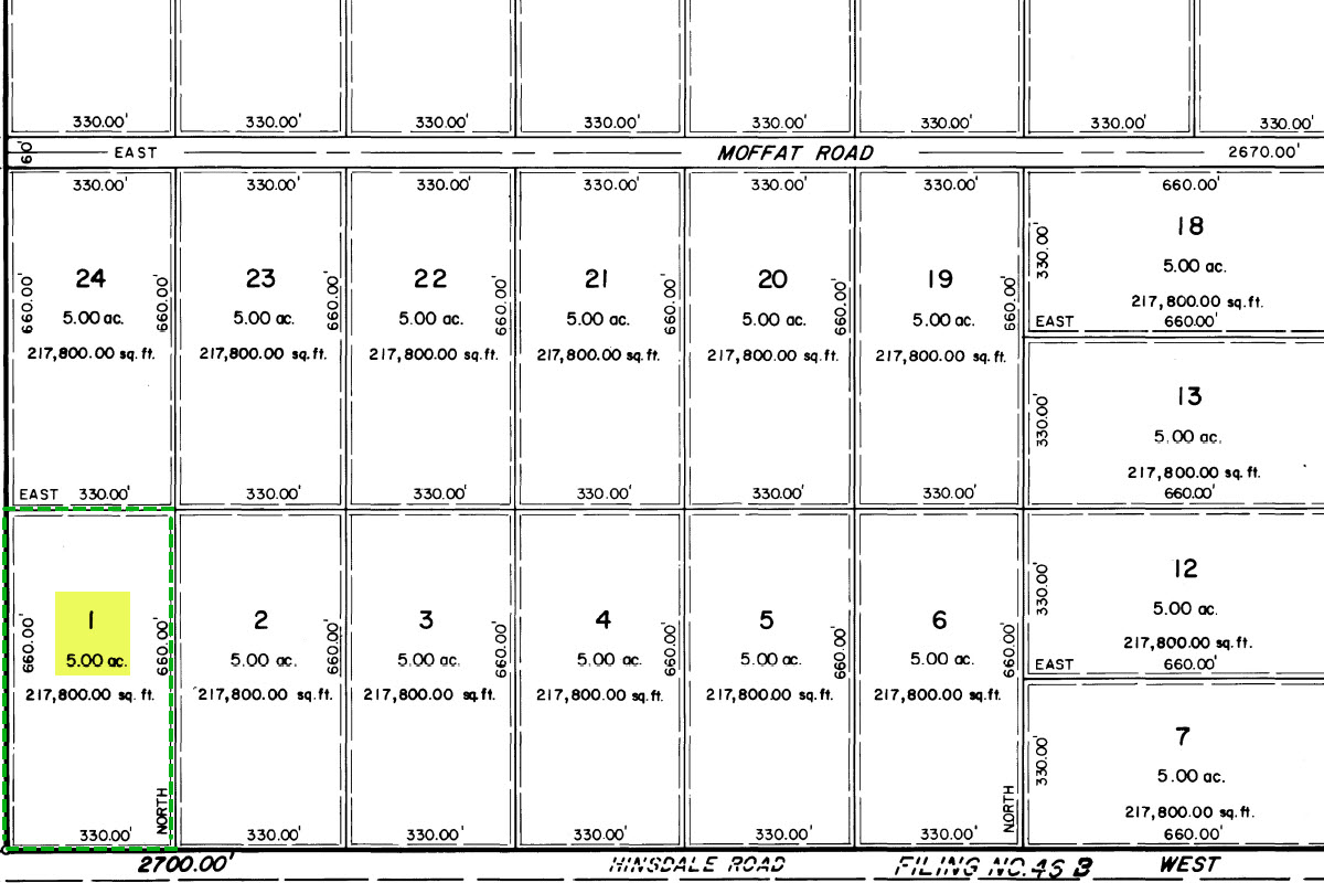
SUBDIVISION: SOUTH PARK RANCHES
ADDRESS: 173 HINSDALE RD, HARTSEL, CO 80449
SIZE: 5 acres
APN: 28281
LEGAL DESCRIPTION: Lot 1, South Park Ranches, Filing No. 46A...
LEGAL DESCRIPTION: Lot 1, South Park Ranches, Filing No. 46A, County of Park, State of Colorado.
APPROX. GPS COORDINATES:
NW: 39.046838, -105.770672
NE:39.046830, -105.769521
SE: 39.045033, -105.769514
SW: 39.045037, -105.770666
APPROX. ELEVATION: 8,912 ft
ZONING: Residential
CAMPING & RVs: Both RV and Tent Short Term
IMPROVEMENTS: None
ANNUAL TAXES: Approx. $219
HOA/POA FEES: None
SEWER: Would need septic system if building.
WATER: Would be by well, holding tank or other similar option.
UTILITIES: Solar or generator best options for electricity. Gas by propane tank. Phone by cellular.
ACCESS: County dirt road. Accessible by car weather permitting or with four-wheel drive vehicle in inclement weather.
Search for detailed parcel information including; Elevation & Vegetation Maps, Ownership Information, Detailed Parcel Information, Crop History Map, Soil Survey Productivity Data, and more.
Research Parcel InformationFrom Hartsel:
Take US-24 E and drive for 1.9 mi.
Turn left onto Co Rd 443 and drive for 0.7 mi.
Turn left onto Fairview Rd for 282 ft.
Fairview Rd will turn right and become Washington St. Drive for 0.3 mi.
Turn right onto Hinsdale Dr and drive for 150 yards and the property is the 2nd lot in from Washington St on the north/left side of the road.