Find your ultimate escape on this 5 acre property, located only 9 miles south of Hartsel. The is the perfect investment property as it will be located less than a mile and half from the future Wild Horse Reservoir (target completion 2030s)! In the meantime, the area offers endless opportunities for hunting, hiking, and ATV-ing or just camping out under the stars. Take in the incredible mountain views of Mosquito range to the west, where youll find unparalleled hiking and climbing opportunities on several 14ers. Imagine watching the sunset over the breathtaking views, and forget all your stress. Dont miss this opportunity to find your own piece of paradise!
Owner financing available on all properties and everyone qualifies. We also include a 15% prepayment discount if you want to pay off early and save! Contact us or check out our site for more information on available options.
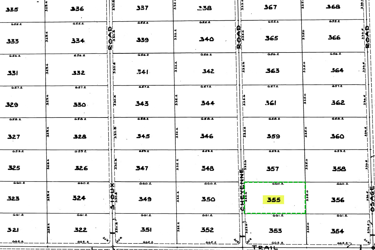
SUBDIV...
SUBDIVISION: ESTATES OF COLORADO
ADDRESS: 588 CHEYENNE RD, HARTSEL, CO 80449
SIZE: 5 acres
APN: 10075
LEGAL DESCRIPTION: Lot 355 Unit 7, Estates of Colorado, County of Park, State of Colorado.
APPROX. GPS COORDINATES:
NW: 38.935083, -105.838465
NE: 38.935089, -105.836256
SE: 38.934166, -105.836237
SW: 38.934166, -105.838456
APPROX. ELEVATION: 9,006 ft
ZONING: Residential
CAMPING & RVs: Both RV and Tent Short Term
IMPROVEMENTS: None
ANNUAL TAXES: Approx. $142
HOA/POA FEES: None
SEWER: Would need septic system if building.
WATER: Would be by well, holding tank or other similar option.
UTILITIES: Solar or generator best options for electricity. Gas by propane tank. Phone by cellular.
ACCESS: County dirt road. Accessible by car weather permitting or with four-wheel drive vehicle in inclement weather.
Search for detailed parcel information including; Elevation & Vegetation Maps, Ownership Information, Detailed Parcel Information, Crop History Map, Soil Survey Productivity Data, and more.
Research Parcel InformationPlease use this link for the best driving directions from Hartsel: https://maps.app.goo.gl/zqQjydfwxANpqsSW8