This 5 acre property is the perfect getaway spot if you're looking to spend some time fishing at Spinney Reservoir (4 miles south) or Eleven Mile Reservoir (9 miles southeast). Your future base camp is about 4 miles west of Pike National Forest if you're looking for great hunting, hiking, and ATVing and you will be able to see your perfect fishing spot at Spinney Reservoir which is visible from the property. With Spinney in sight to the south and incredible mountain peaks to the west, this property is the escape you've been waiting for!
Owner financing available on all properties and everyone qualifies. We also include a 15% prepayment discount if you want to pay off early and save! Contact us or check out our site for more information on available options.
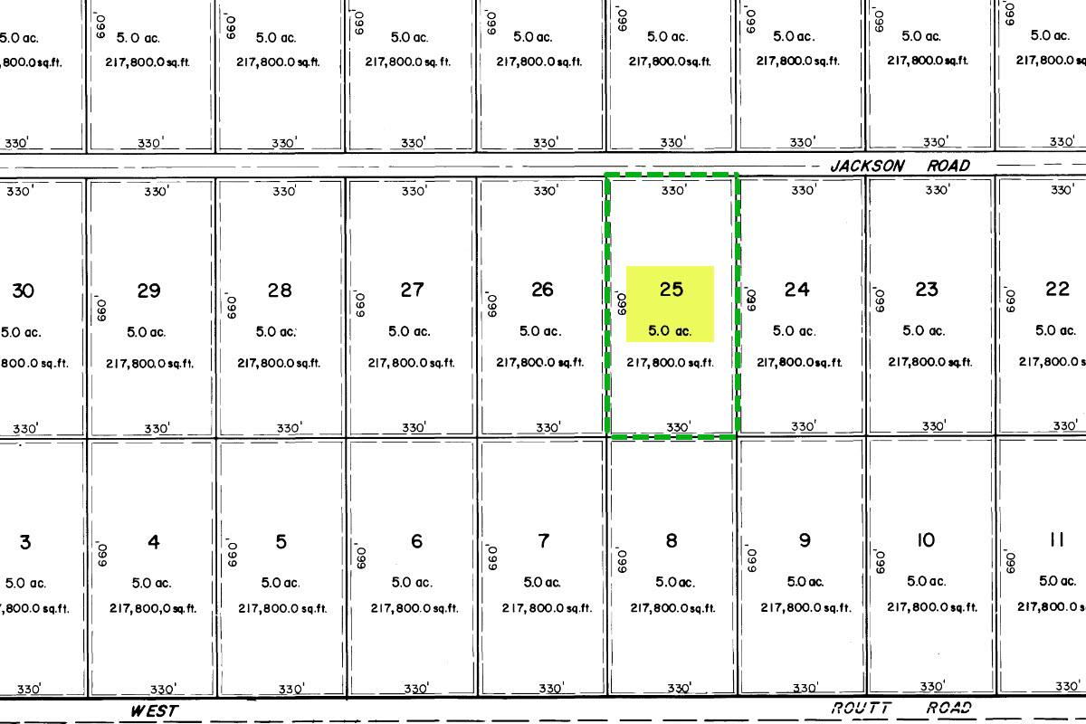
SUBDIVISION: SOUTH PARK RANCHES
ADDRESS: 6496 JACKSON RD, HARTSEL, CO 80449
SIZE: 5 acres
APN: 27484
LEGAL DESCRIPTION: Lot 25 o...
LEGAL DESCRIPTION: Lot 25 of South Park Ranches Filing 30, County of Park, State of Colorado.
APPROX. GPS COORDINATES:
NW: 39.060229, -105.669613
NE: 39.060217, -105.668459
SE: 39.058411, -105.668446
SW: 39.058395, -105.669608
APPROX. ELEVATION: 8,853 ft
ZONING: Residential
CAMPING & RVs: Both RV and Tent Short Term
IMPROVEMENTS: None
ANNUAL TAXES: Approx. $256
HOA/POA FEES: None
SEWER: Would need septic system if building.
WATER: Would be by well, holding tank or other similar option.
UTILITIES: Solar or generator best options for electricity. Gas by propane tank. Phone by cellular.
ACCESS: County dirt road. Accessible by car weather permitting or with four-wheel drive vehicle in inclement weather.
Search for detailed parcel information including; Elevation & Vegetation Maps, Ownership Information, Detailed Parcel Information, Crop History Map, Soil Survey Productivity Data, and more.
Research Parcel InformationFrom Hartsel:
Take US-24 E and drive for 6.6 mi.
Turn left onto Delta St and drive for 1.1 mi.
Turn right onto Jackson Rd and drive for 0.5 mi and the land is on the right (south) side of the road.
Please use this Google maps link for the best driving directions from Hartsel: https://maps.app.goo.gl/hR1Xo7SvQBZFEny57