If youre seeking jaw dropping high country views, total privacy, and great access to nature, this 5 acre property 15 miles south of Hartsel is a must see. With sweeping panoramic views in all directions especially to the west, northwest, southwest, and north this lot offers a front row seat to Colorados rugged beauty.
The terrain gently rises from the road to a high point near the center of the property, where the views become truly epic. Even the eastern and southeastern views offer rolling hills and distant mountains, creating a stunning views from nearly every point on the property.
Youll enjoy total peace and quiet with hardly anyone else nearby, while still being just 4 miles from Pike National Forestgiving you quick access to thousands of acres of public land for hiking, exploring, and adventure.
Top Features
Epic Mountain Views in Every Direction Especially incredible to th...
Epic Mountain Views in Every Direction Especially incredible to the west, northwest, and southwest
High Point Terrain Slopes up to a scenic ridge for unbeatable views
Total Seclusion Few neighbors, wide open skies, and peaceful surroundings
Close to Pike National Forest Only 4 miles to hiking, wildlife, and backcountry exploring
With some of the best views in the region and total seclusion, this 5-acre gem is the perfect place to unplug, unwind, and build your Colorado dream!
Owner financing available on all properties and everyone qualifies. We also include a 15% prepayment discount if you want to pay off early and save! Contact us or check out our site for more information on available options.
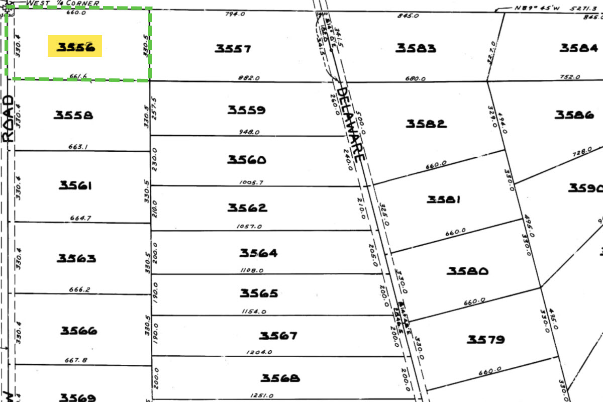
SUBDIVISION: ESTATES OF COLORADO
ADDRESS: 3464 CHICKASAW RD, GUFFEY, CO 80820
SIZE: 5 acres
APN: 44631
LEGAL DESCRIPTION: Estate 3556 of Unit 69 of Estates of Colorado as shown on the plat of said subdivision recorded June 17, 1960 at Reception No. 153728, County of Park, State of Colorado.
APPROX. GPS COORDINATES:
NW: 38.81748, -105.75979
NE: 38.8176, -105.75745
SE: 38.81673, -105.75743
SW: 38.81659, -105.75975
APPROX. ELEVATION: 9,524 ft
ZONING: Residential
CAMPING & RVs: Both RV and Tent Short Term
IMPROVEMENTS: None
ANNUAL TAXES: Approx. $183
HOA/POA FEES: None
SEWER: Would need septic system if building.
WATER: Would be by well, holding tank or other similar option.
UTILITIES: Solar or generator best options for electricity. Gas by propane tank. Phone by cellular.
ACCESS: County dirt road. Accessible by car weather permitting or with four-wheel drive vehicle in inclement weather.
Search for detailed parcel information including; Elevation & Vegetation Maps, Ownership Information, Detailed Parcel Information, Crop History Map, Soil Survey Productivity Data, and more.
Research Parcel InformationPlease use this google maps link for the best driving directions from Hartsel: https://maps.app.goo.gl/Y2fz1ff5iVuTJ66Z9