Escape to the breathtaking beauty of nature with this stunning 5.23 acre parcel of land located 22 miles south of Hartsel. Enjoy panoramic views of snow-capped mountains and rolling green hills stretching for miles from the elevated plateau in the center of the property. The land slopes up from the road toward the south to a plateau in the center of the property, where the best views can be found. Perfect for outdoor enthusiasts, this land is ideal for recreational activities such as camping, hunting, or building an off-grid cabin. Create your own serene mountain retreat and immerse yourself in the great outdoors!
Owner financing available on all properties and everyone qualifies. We also include a 15% prepayment discount if you want to pay off early and save! Contact us or check out our site for more information on available options.
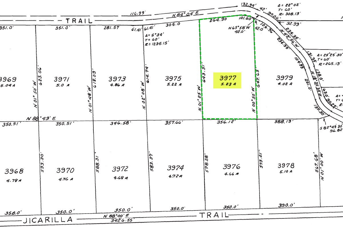
SUBDIVISION: ESTATES OF COLORADO AMENDED
ADDRESS:...
ADDRESS: Koweta Trl, Hartsel, CO 80449
SIZE: 5.23 acres
APN: 9309
LEGAL DESCRIPTION: Lot 3977, Estates of Colorado - Unit 78, Amended, as shown on the Plat of said Subdivision recorded September 8, 1975 at Reception No. 215571, County of Park, State of Colorado.
APPROX. GPS COORDINATES:
NW: 38.766789, -105.784131
NE: 38.766827, -105.782857
SE: 38.765042, -105.782850
SW: 38.765032, -105.784106
APPROX. ELEVATION: 9,951 ft
ZONING: Residential
CAMPING & RVs: Both RV and Tent Short Term
IMPROVEMENTS: None
ANNUAL TAXES: Approx. $112
HOA/POA FEES: None
SEWER: Would need septic system if building.
WATER: Would be by well, holding tank or other similar option.
UTILITIES: Solar or generator best options for electricity. Gas by propane tank. Phone by cellular.
ACCESS: County dirt road. Accessible by car weather permitting or with four-wheel drive vehicle in inclement weather.
Search for detailed parcel information including; Elevation & Vegetation Maps, Ownership Information, Detailed Parcel Information, Crop History Map, Soil Survey Productivity Data, and more.
Research Parcel InformationFrom Hartsel:
Take US-24 E and drive for 0.1 mi.
Turn right onto CO-9 S and continue for 2.0 mi.
Turn right onto Co Rd 53 and drive for 18.3 mi.
Turn left onto Jicarilla Trail and drive for 1.3 mi.
Turn left onto Koweta Trail and drive for 0.4 mi.
The land will be on the left/south side of the road.
Please use this link for the best driving directions on Google maps: https://goo.gl/maps/Ns3xmxe2zhAPrAzx5