Sign up
Log in
Results
View all 4 pictures

Is this your property? Sell it faster with premium placement and targeted ads.

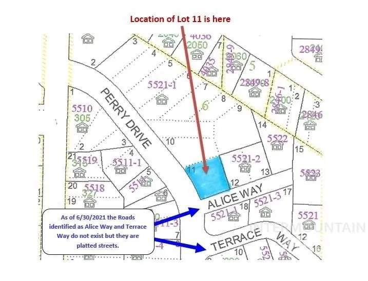
Unimproved Land - Payette, ID

Are you looking for a location to build a new home that is not in a "cookie-cutter" subdivision where every house on the street looks like a knock-off of the neighbor's home 2 doors away? As this subdivision seems to have been created in the late 40s/early 50s; there does not appear to be any CC&Rs or architectural control committee that is going to tell you where to park, what colors to use or any of the other encumbrances that we all seem to dislike. Water and sewer are in the street and other utilities are in the vicinity of this lot. Bring your builder or let us know if you need one. Due to the topography of this lot you will need to verify with the building department what kind of retention walls and storm water runoff swales you will need to create for your dream home. Please keep in mind that the cost of the land is very low.

Copyright © 2025 Intermountain Multiple Listing Service...

Read More

From elevation to risk assessment

Search for detailed parcel information including; Elevation & Vegetation Maps, Ownership Information, Detailed Parcel Information, Crop History Map, Soil Survey Productivity Data, and more.

Research Parcel Information

Unlock the full LandWatch experience

Have an account?Sign In

Contact Seller

Coldwell Banker/Classic Proper

Payette, ID

(208) 642-9316

Amy Gluch

Coldwell Banker/Classic Proper
View Phone Number
By clicking the button, you agree to our Terms of Use and Privacy Policy.

Is this your property? Sell it faster with premium placement and targeted ads.

Provided By

Coldwell Banker/Classic Proper, (208) 642-9316
Source: ListHub, MLS# 98947885
Listing status: Active
Listing last updated: May 21, 2025 at 3:34 PM
Listing last checked: October 10, 2025 at 7:30 AM
Report this listing

Other Land for Sale in Payette County