Sign up
Log in
Results
View all 8 pictures
Off Market
$1,329,900

Hadley TWP. , Baylis, IL 62314(Pike County)

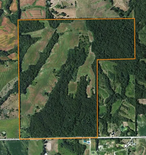
Size: 286 Acres

Beautiful Hunting Farm

This is a fabulous opportunity to own a breathtaking slice of world famous Pike County, Illinois! This gorgeous piece of property is composed of approximately 103 acres of tillable land capable of earning a significant annual income, with the balance of the farm in big, mature, marketable timber, bedding thickets, and a creek that winds its way through the entire southern portion of the property! The farm has been intensely managed for quality whitetail bucks for the past 10 years, and is loaded with quality habitat capable of growing and holding mature whitetails! Call today for more information or to schedule a showing for this incredible farm!!

From elevation to risk assessment

Search for detailed parcel information including; Elevation & Vegetation Maps, Ownership Information, Detailed Parcel Information, Crop History Map, Soil Survey Productivity Data, and more.

Research Parcel Information

Environmental Factors

Flood Factor ™
/ 10
Fire Factor ™
/ 10
Heat Factor ™
/ 10
Wind Factor ™
/ 10
Source:First Street
Contact Seller
Ridgeline Sales Group, LLC

License #481014330

Pittsfield, IL

(217) 292-1124

Provided By

Ridgeline Sales Group, LLC, (217) 292-1124
Listing last updated: February 5, 2022 at 4:32 PM
Report this listing

More by Ridgeline Sales Group, LLC