Explore this rare opportunity to secure three contiguous residential lots in the scenic and laid-back Massey Point subdivision.
You will be located just a few minutes from Eufaula Lake, one of Oklahomas premier recreational destinations. Eufaula Lake, which is enormous at over 105,000 acres of surface area and 600 miles of shoreline, hosts virtually any water sport you can dream of. The bass fishing is legendary. You can enjoy boating, fishing, swimming, and more.
These lots are ideal for investors, developers, or families seeking a peaceful lake country lifestyle.
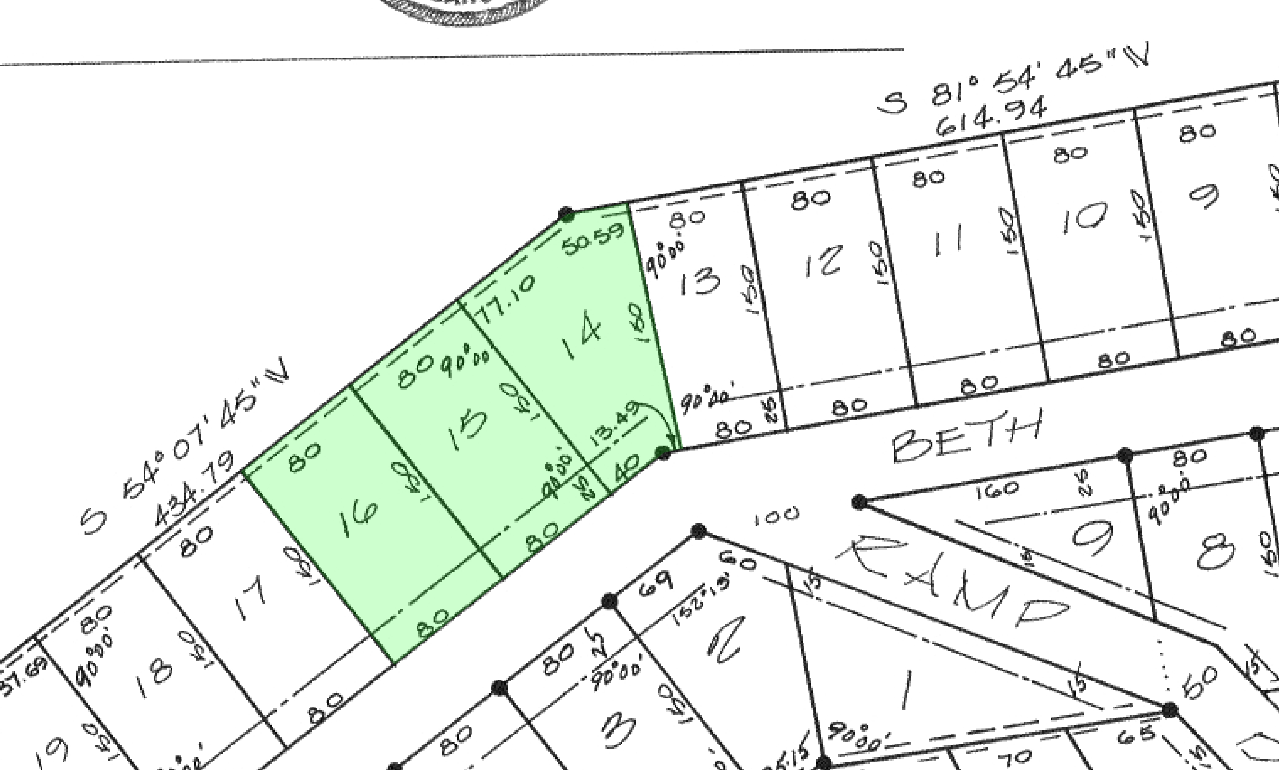
These properties are in Pittsburg County, Massey Point Subdivision, Unit 6, Block 85, Lots 14, 15, and 16. They are legally subdivided and adjoin one another, providing maximum flexibility for development or resale. If you want to you can combine them for a wonderful and enormous property of approximately 0.83 acre.
T...
This is a peaceful rural setting with light development nearby. Ideal for a vacation home, retirement property, or investment holding. You can RV or camp on your property indefinitely while holding it for investment.
There are no property owners association, no home owners association, and no subdivision restrictions. There is no zoning. One and two family residences do not require building permits. Enjoy freedom and control your land.
These lots sit along Beth Drive, a dirt road that can be improved. To the best of our knowledge electric lines are 152 yards away, but they might be closer.
Access to the public water system is evaluated on a case by case basis, determined when you apply for service. Contact Rural Water District 14 for more information. Many people have their own water wells. It is our understanding that wells run from 11 to 213 feet deep, with an average of about 75 feet. You will need to consult a well drilling professional for authoritative information.
Cheap land of such a high quality in a stunning lakeside area is hard to come by.
This is a quiet, low-traffic area with natural beauty, wildlife, and lots of trees which are mostly pines and oaks. You will enjoy the legendary bass fishing and many other joys of Eufaula Lake.
Located just a short drive from McAlester and within reach of major highways, Massey Point offers the perfect balance of seclusion and accessibility. Whether you're an outdoor enthusiast, an investor looking to build equity, or someone simply seeking a peaceful slice of land to call your own, this 3-lot package offers unmatched potential.
Properties in this region continue to rise in demand due to their natural beauty and recreational appeal. This is your chance to own some of the most special properties that you will ever see.
Everyone qualifies for the same financing. We do not run credit checks. With an initial payment of $294 we will finance the balance for as little as $226.45 per month over 10 years. Or you can buy the properties outright instead of financing, and receive a 10% cash discount.
For more information or to purchase, please click on the Property Website link below, which is under Resources.
Cheap land, residential land for sale, recreational land for sale, Oklahoma land for sale, cheap land for sale, land near lake, land with trees
Search for detailed parcel information including; Elevation & Vegetation Maps, Ownership Information, Detailed Parcel Information, Crop History Map, Soil Survey Productivity Data, and more.
Research Parcel InformationFrom the intersection of Business Highway 69 and US Highway 270 in
McAlester.
Drive east on US-270 E / E Carl Albert Parkway.
2 miles later take a slight right onto OK-31 E.
14.7 miles later turn left onto Blocker Road / E 1350 Road.
3.7 miles later turn left onto Massey Point Road.
2.8 miles later turn left onto Golda Drive.
0.6 mile later turn left onto Beth Drive at 35.047128 -95.637096.
0.12 mile later Lot 16 will be on your left.