Sign up
Log in
Results
View all 3 pictures

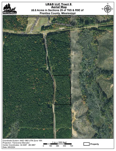
LR&D LLC Tract 8

Tract 8 is a 6.6 acre tract with a potential house site or a hunting cabin alongside CR 4251 in Prentiss County. There is approximately 650 feet of county road frontage with power and water available. This property is located in a quiet and rural community just off of the south side of Hwy 4 3 miles East of New Site and 2.5 miles West of Bay Springs Lake. It is in close proximity to multiple public boat ramps and hunting areas, including John Bell Williams WMA, Divide Section WMA, and Canal Section WMA.

16 miles from Booneville, MS

35 miles from Tupelo, MS

35 miles from Corinth, MS

Read More

From elevation to risk assessment

Search for detailed parcel information including; Elevation & Vegetation Maps, Ownership Information, Detailed Parcel Information, Crop History Map, Soil Survey Productivity Data, and more.

Research Parcel Information

Environmental Factors

Flood Factor ™
/ 10
Fire Factor ™
/ 10
Heat Factor ™
/ 10
Wind Factor ™
/ 10
Source:First Street

Resources

Links
Property Website
Contact Seller
Scout Land Company

Corinth, MS

(662) 340-5986

Provided By

Scout Land Company, (662) 340-5986
Source: MLS# LR&D LLC Tract 8
Listing last updated: November 19, 2025 at 9:37 AM
Report this listing

More by Jay Mitchell