Sign up
Log in
Results
View all 1 pictures

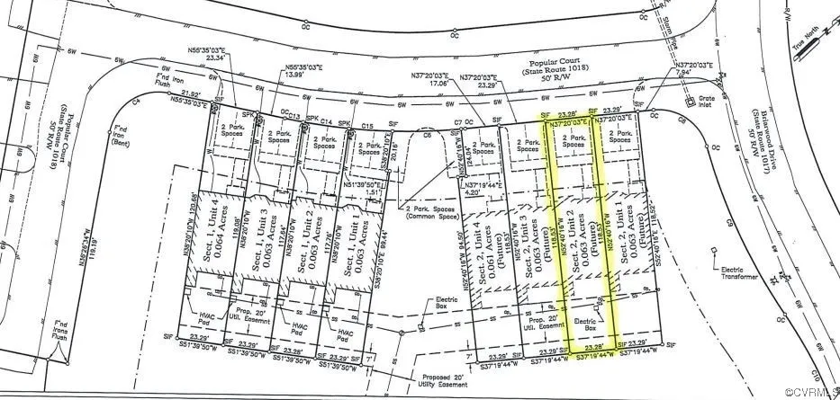
0.06 acres in Prince Edward County, VA

BRIARWOOD TOWNHOUSES - READY TO BE BUILT. Water & Sewer at street. Advantageous investment opportunity.

From elevation to risk assessment

Search for detailed parcel information including; Elevation & Vegetation Maps, Ownership Information, Detailed Parcel Information, Crop History Map, Soil Survey Productivity Data, and more.

Research Parcel Information

Directions

Head South to Main St. to Milwood; Right on Scott to Briery (stay left) to right on Briarwood

Contact Seller

Real Broker LLC

McLean, VA

(434) 325-5342

Provided By

Real Broker LLC, (434) 325-5342
Source: Homes, MLS# 2305064
Listing last updated: December 18, 2024 at 8:43 AM
Listing last checked: December 1, 2025 at 6:01 AM
Report this listing