Is this your property? Sell it faster with premium placement and targeted ads.
Subject property has potential for 14 single family residential lots or a church, school or daycare site. Nearby developments which were developed with single family homes from 1980 to 2013 on quarter acre lots include Hailees Grove, Country Roads, Hersch Farm, Smith Pond, Mayfair, and Mayfield Trace subdivisions. As the subject is adjoined on the south and west by R4 zoning and with R4C zoning on the north, it seems reasonable to assume that the County would look favorably on rezoning the subject to R4. R4 allows low-to-moderate density residential uses at approximately four dwelling units per acre. The minimum lot size is 10,000 SF with minimum lot width of 70' (100' for corner lots) with open space of 60% of the lot. Front, rear and side setbacks are 30', 25' and 10', respectively. The reader is referred to the Prince William County on-line residential zoning ordinances on link below ...
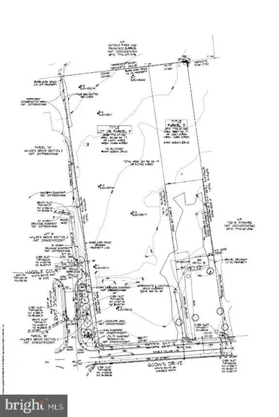
Subject property has potential for 14 single family residential lots or a church, school or daycare site. Nearby developments which were developed with single family homes from 1980 to 2013 on quarter acre lots include Hailees Grove, Country Roads, Hersch Farm, Smith Pond, Mayfair, and Mayfield Trace subdivisions. As the subject is adjoined on the south and west by R4 zoning and with R4C zoning on the north, it seems reasonable to assume that the County would look favorably on rezoning the subject to R4. R4 allows low-to-moderate density residential uses at approximately four dwelling units per acre. The minimum lot size is 10,000 SF with minimum lot width of 70' (100' for corner lots) with open space of 60% of the lot. Front, rear and side setbacks are 30', 25' and 10', respectively. The reader is referred to the Prince William County on-line residential zoning ordinances on link below for more details. With the 5.2841 acre size, the subject could potentially developed with as many as 14 homes under the R-4 zoning, see attached sketch plan on link below. Two lots totaling 5.2841 acres for sale in Manassas. 10499 Godwin Drive (7794-37-9831) is 3.6486 acres. 10501 Godwin Drive (7794-47-1430) is 1.6355 acres with a 3 bedroom, 2.5 bathroom, brick front house on site. Both lots are zoned A-1 (Agricultural) in Prince William County. Located on the corner of Godwin and Harmonic Lane. Lots have easy access to Rt-234 and Rt-28. Church, School, Daycare and a variety of other uses are allowed with a special use permit.
Copyright © 2025 Bright MLS. All rights reserved. All information provided by the listing agent/broker is deemed reliable but is not guaranteed and should be independently verified.
Search for detailed parcel information including; Elevation & Vegetation Maps, Ownership Information, Detailed Parcel Information, Crop History Map, Soil Survey Productivity Data, and more.
Research Parcel InformationIs this your property? Sell it faster with premium placement and targeted ads.