JPAR North Metro
Enter a City, County, State, or IDView Phone Number
This site is protected by reCAPTCHA and the Google Privacy Policy and Terms of Service apply.
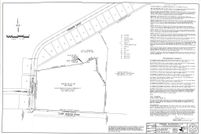
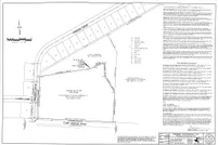
Arezou Maghami - Land for Sale in Plano, TX
- 1-1 of 1 Listings
Sort
- 1-1 of 1 Listings