Coldwell Banker Real Estate Group
Enter a City, County, State, or IDView Phone Number
This site is protected by reCAPTCHA and the Google Privacy Policy and Terms of Service apply.
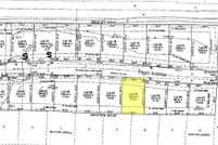
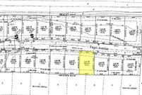
Keith Krepline - Land for Sale in Brillion, WI
- 76-87 of 87 Listings
Sort