Maximum One Grt. Atl. REALTORS
Enter a City, County, State, or IDView Phone Number
This site is protected by reCAPTCHA and the Google Privacy Policy and Terms of Service apply.
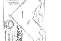
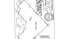
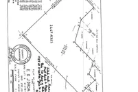
Yolanda Phillips - Land for Sale in Marietta, GA
- 1-2 of 2 Listings
Sort