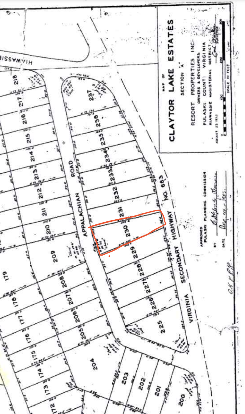
A rare opportunity in Claytor Lake Estates by Claytor Lake in Snowsville,VA! This is Lake Living at its best! This .22 acre Lot #234, is located off of Appalachian Rd and backs up to Owens Rd and is just waiting for a new owner to join this hidden gem of a community! Ask about Lots #230, #233, #235 (has a well) which are also available with different listings. Purchase multiple Lots to own a great space to build and have a ton of privacy! No SW, or DW allowed, but longterm RV permit allowed for 3yrs while building. Enjoy the amenities of DeHaven Park, a public friendly facility managed by the County of Pulaski. NO HOAs! You'll have easy access to the Boat Launch to set off for a day on the lake, or stay on land and go fishing off the Pier. Appalachian Road is a bit overgrown. It just needs a little clearing and some gravel to have it functional road frontage again in front of these Lots....
A rare opportunity in Claytor Lake Estates by Claytor Lake in Snowsville,VA! This is Lake Living at its best! This .22 acre Lot #234, is located off of Appalachian Rd and backs up to Owens Rd and is just waiting for a new owner to join this hidden gem of a community! Ask about Lots #230, #233, #235 (has a well) which are also available with different listings. Purchase multiple Lots to own a great space to build and have a ton of privacy! No SW, or DW allowed, but longterm RV permit allowed for 3yrs while building. Enjoy the amenities of DeHaven Park, a public friendly facility managed by the County of Pulaski. NO HOAs! You'll have easy access to the Boat Launch to set off for a day on the lake, or stay on land and go fishing off the Pier. Appalachian Road is a bit overgrown. It just needs a little clearing and some gravel to have it functional road frontage again in front of these Lots. Don't miss out on this rare opportunity!
Take Exit 105 off I81 onto Rt 605/ Little River Dam Rd, Turn Rt onto Rt 663/Owens Rd, turn Left onto Appalachian Rd, park at 6825Appalachian Rd, where road ends. Walk into woods and find corners marked and flagged. You can also see the back boundary lines off of Owens Road.
Have an account?Sign In