Sign up
Log in
Results
View all 1 pictures
Sold
$62,500

Orla, TX 79770(Reeves County)

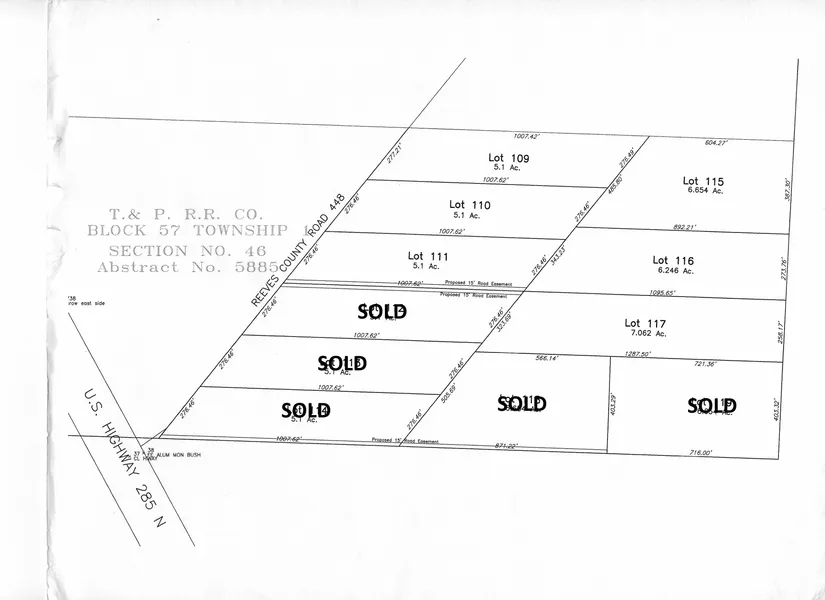
Size: 6.25 Acres

Lot 116

** UNDER CONTRACT **

6.246 acres Lot 116 of Blk 57 Sect 46, AB 5885, Commercial use only.

Read More

From elevation to risk assessment

Search for detailed parcel information including; Elevation & Vegetation Maps, Ownership Information, Detailed Parcel Information, Crop History Map, Soil Survey Productivity Data, and more.

Research Parcel Information

Directions

From Orla drive 4.7 miles to CR 448 and turn right. Proceed approximately 0.5 miles and property is on your right. Access will be available by an easement.

Provided By

0
Listing last updated: February 5, 2022 at 4:41 AM
Report this listing