Sign up
Log in
Results
View all 3 pictures

8.72 Acres in Columbia, SC - $60,000

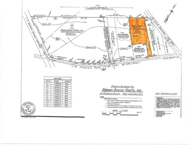
The property fronts on Pineview Road and CSX Railroad and is offered in parcels containing 52.98 acres and 8.72 acres.

Zoned M-1 Light Industrial.

Water and Sewer are available.

Read More

From elevation to risk assessment

Search for detailed parcel information including; Elevation & Vegetation Maps, Ownership Information, Detailed Parcel Information, Crop History Map, Soil Survey Productivity Data, and more.

Research Parcel Information

Directions

From the intersection of I-77 and Shop Road, travel south on Shop Road, at the intersection of Shop Road and Pineveiw Road, turn left, cross railroad, property is located immediately on the left.

Contact Seller
Henderson & Associates, Inc

Newberry, SC

(803) 592-6411