Sign up
Log in
Results
View all 1 pictures

Is this your property? Sell it faster with premium placement and targeted ads.

Land/Lot - Lake Elsinore, CA

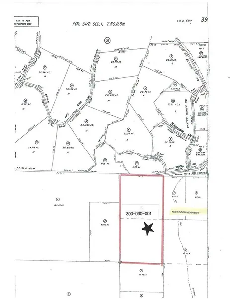
ASKING $5,000 AN ACRE. 80 ACRES LEVEL, ROLLING, AND HILLY WEST OF EL TORO ROAD AND SOUTH OF BAXTER RANCH ROAD. IT APPEARS THE ASSESSOR MAP AND THE AERIAL MAP POST A DIFFERENT LOCATION OF LINDELL ROAD AS THE AERIAL MAP HAS LINDELL RUNNING THROUGH THE 80-ACRE PARCELS AND THE ASSESSOR MAP NEXT TO OR CLOSE TO LINDELL ROAD. SEE MAPS. THERE IS A MOBILE/MANUFACTURED HOME ON TWO 20-ACRE PARCELS NEXT TO THESE 80 ACRES. LEGAL ADDRESS IS 25010 STOVEPIPE CANON ROAD, LAKE ELSINORE, CA. STOVEPIPE AND LINDELL APPEAR TO BE THE SAME ROAD. EACH 20-ACRE PARCEL NUMBER AND ADDRESS IS 390-090-002 AKA 25010 STOVEPIPE AND 390-090-003 AKA 25020 LINDELL. VERY PEACEFUL AREA GREAT FOR THOSE WHO WOULD LIKE THE OPEN SPACE TO LIVE IN WHILE HOLDING A FUTURE INVESTMENT WITH GREAT POTENTIAL AND THE INVESTOR LOOKING FOR A GREAT INVESTMENT IN THE PATH OF GROWTH.

Copyright © 2025 California Regional Multiple Listing Service...

Read More

From elevation to risk assessment

Search for detailed parcel information including; Elevation & Vegetation Maps, Ownership Information, Detailed Parcel Information, Crop History Map, Soil Survey Productivity Data, and more.

Research Parcel Information
Contact Seller

Realty Center, Inc.

License #00588379

Murrieta, CA

(951) 674-6814

Everett Manfredi

Realty Center, Inc.
View Phone Number
By clicking the button, you agree to our Terms of Use and Privacy Policy.

Is this your property? Sell it faster with premium placement and targeted ads.

Provided By

Realty Center, Inc., (951) 674-6814
Source: ListHub, MLS# SW24200334
Listing status: Active
Listing last updated: October 9, 2025 at 2:42 AM
Listing last checked: October 10, 2025 at 7:30 AM
Report this listing

Other Land for Sale in Riverside County