Sign up
Log in
Results
View all 1 pictures
Available
$1,200,000

Riverton, UT 84065(Salt Lake County)

Size: 0.87 Acres

Is this your property? Sell it faster with premium placement and targeted ads.

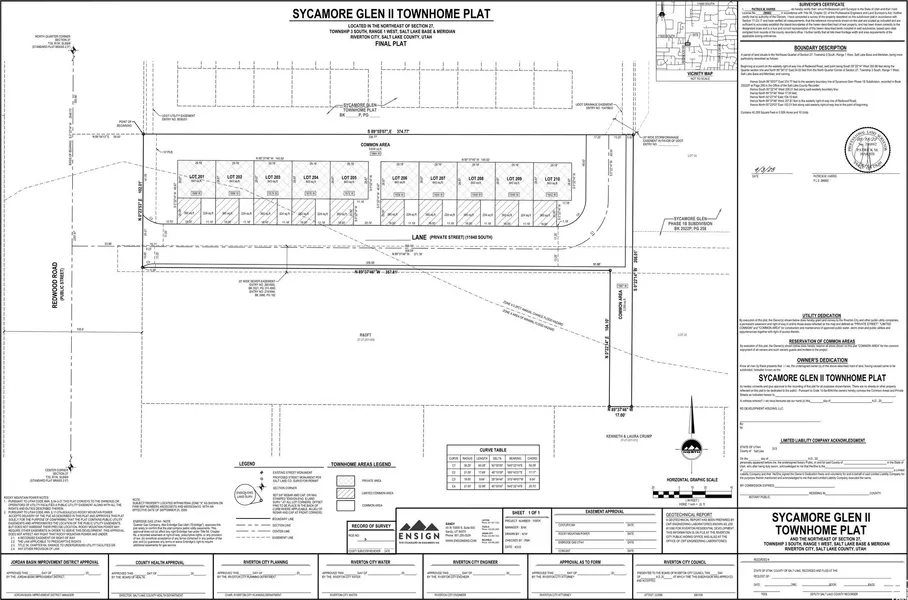
Multi Family - Riverton, UT

10 paper lot town homes approved and ready to be constructed. See attached site plan for project details.

Copyright © 2025 . All rights reserved. All information provided by the listing agent/broker is deemed reliable but is not guaranteed and should be independently verified.

Read More
Contact Seller

Equity Real Estate (Advantage)

Sandy, UT

(800) 785-9995

Brooke Anderson

Equity Real Estate (Advantage)
View Phone Number
By clicking the button, you agree to our Terms of Use and Privacy Policy.

Is this your property? Sell it faster with premium placement and targeted ads.