Sign up
Log in
Results
View all 4 pictures

Is this your property? Sell it faster with premium placement and targeted ads.

Land/Lot - Newberry Springs, CA

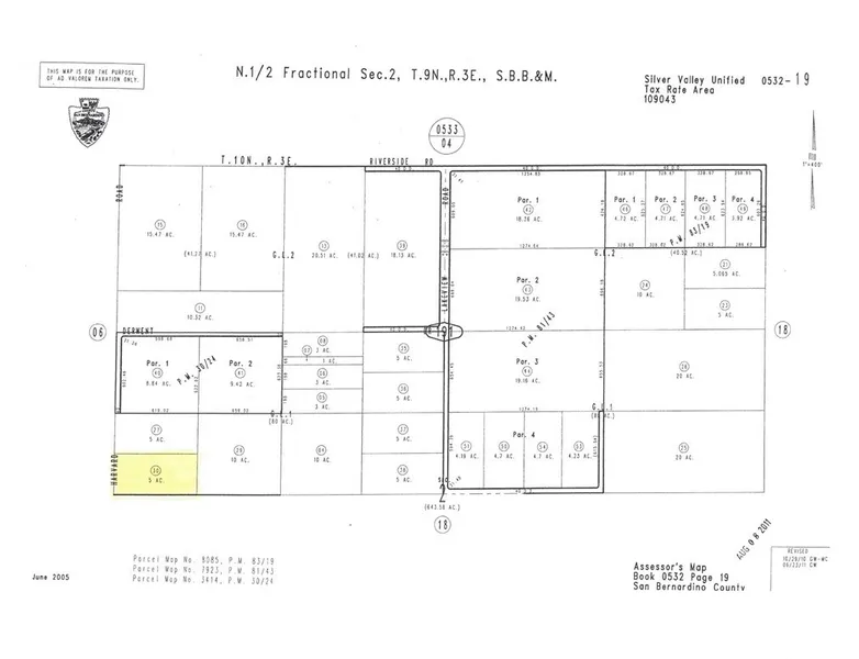
5 Ac. Flat land Corner of Twin Lakes Rd. Harvard Rd. and Derwent Rd. Newberry Springs,

Horses allowed. Great potential for new homes site, with electric and phone lines close by on Harvard Road.

Vacant land in the unincorporated area of Newberry Springs in San Bernardino County (APN 0532-191-30). Located approx. 3. miles from I-15, this parcel is zoned Rural Living which allows for several potential uses including one residential unit per 2.5 acres. Buyer to verify all zoning information and availability of utilities with the applicable agencies. Located in a developed area with multiple homes around the parcel, including directly next door. Perfect opportunity to build a custom ranch home or install a mobile home.

You may Google the GPS Coordination: Latitude:34.901814, Longitude:-116.644524

Copyright © 2025 California Regional Multiple Listing Service, Inc. All rights reserved. All inform...

Read More

From elevation to risk assessment

Search for detailed parcel information including; Elevation & Vegetation Maps, Ownership Information, Detailed Parcel Information, Crop History Map, Soil Survey Productivity Data, and more.

Research Parcel Information
Contact Seller

Rich Estate Props

License #00895193

Tarzana, CA

(818) 577-3822

Richard Khatibi

Rich Estate Props
View Phone Number
By clicking the button, you agree to our Terms of Use and Privacy Policy.

Is this your property? Sell it faster with premium placement and targeted ads.

Provided By

Rich Estate Props, (818) 345-4601
Source: ListHub, MLS# SR23159098
Listing status: Active
Listing last updated: November 16, 2025 at 10:58 AM
Listing last checked: December 1, 2025 at 10:30 AM
Report this listing

Other Land for Sale in San Bernardino County