Is this your property? Sell it faster with premium placement and targeted ads.
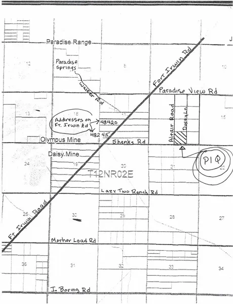
38.43 Acres,corner lot, located in beautiful Paradise Valley, only about 11 miles from Fort Irwin. From this property, you can see for miles, looking out over Coyote Dry Lake, clear over to the west side of Newberry Springs. The property adjoining to the north has electric so may not cost much to bring it to this property. Check with the electric company for pricing and availability. This parcel has legal access on Altair Rd on the west and Dusty Ln on the east. Can also be accessed from Shenk's Rd. which is approximately 1 mile south of Paradise View Rd. It is the NE corner of Altair Rd. and Shenk's Rd. Note: On the MLS map for this listing the road at the south that shows as Coyote Lake Rd is also known as Shenk's Ranch Road. This property can also be accessed from the Power Line Rd which runs down from Paradise View Rd. through the property but would not be considered legal ...
38.43 Acres,corner lot, located in beautiful Paradise Valley, only about 11 miles from Fort Irwin. From this property, you can see for miles, looking out over Coyote Dry Lake, clear over to the west side of Newberry Springs. The property adjoining to the north has electric so may not cost much to bring it to this property. Check with the electric company for pricing and availability. This parcel has legal access on Altair Rd on the west and Dusty Ln on the east. Can also be accessed from Shenk's Rd. which is approximately 1 mile south of Paradise View Rd. It is the NE corner of Altair Rd. and Shenk's Rd. Note: On the MLS map for this listing the road at the south that shows as Coyote Lake Rd is also known as Shenk's Ranch Road. This property can also be accessed from the Power Line Rd which runs down from Paradise View Rd. through the property but would not be considered legal access as it belongs to Southern California Edison. This parcel has been surveyed. DIRECTIONS: Take Fort Irwin Rd until about 10 miles before you would get to Ft Irwin Army Base. Turn right on Paradise View Rd. Go to about 1 mile to Altair Rd., turn right, go 3/4 mile to the NW corner of the parcel which will be on your left. If you go another 1/4 mile you will be at the approximate SW corner. Or you can access by TAKING Fort Irwin Rd until about 10 miles before you would get to Ft Irwin Army Base. Turn right on Shenk's Rd and go a little over 2 miles to the SW corner of the property.
Copyright © 2025 California Regional Multiple Listing Service, Inc. All rights reserved. All information provided by the listing agent/broker is deemed reliable but is not guaranteed and should be independently verified.
Search for detailed parcel information including; Elevation & Vegetation Maps, Ownership Information, Detailed Parcel Information, Crop History Map, Soil Survey Productivity Data, and more.
Research Parcel InformationIs this your property? Sell it faster with premium placement and targeted ads.