Is this your property? Sell it faster with premium placement and targeted ads.
39.01 Acres located in beautiful Paradise Valley, only about 10 miles from Fort Irwin. From this property, you can see for miles, looking out over Coyote Dry Lake, clear over to the west side of Newberry Springs. The property adjoining to the north & to the west have electric so may not cost much to bring it to this property. Check with the electric company for pricing and availability. This parcel has legal access on Dusty Ln (AKA Sandy Ln) on the west. Take Fort Irwin Road north from Barstow. About 10 miles before you would get to the Ft Irwin Army Base, Turn right on Paradise View Rd. Right before the cement plant, turn right on Dusty Ln. (AKA Sandy Ln), go 1/4 mile to the NW corner of the parcel which will be on your left. Parcel has been surveyed. There are some pistachio trees on the property which haven't been watered for a long time so all or most are no longer alive but ...
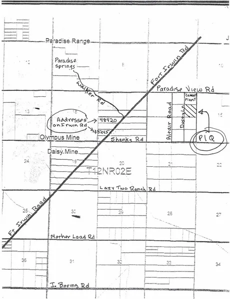
39.01 Acres located in beautiful Paradise Valley, only about 10 miles from Fort Irwin. From this property, you can see for miles, looking out over Coyote Dry Lake, clear over to the west side of Newberry Springs. The property adjoining to the north & to the west have electric so may not cost much to bring it to this property. Check with the electric company for pricing and availability. This parcel has legal access on Dusty Ln (AKA Sandy Ln) on the west. Take Fort Irwin Road north from Barstow. About 10 miles before you would get to the Ft Irwin Army Base, Turn right on Paradise View Rd. Right before the cement plant, turn right on Dusty Ln. (AKA Sandy Ln), go 1/4 mile to the NW corner of the parcel which will be on your left. Parcel has been surveyed. There are some pistachio trees on the property which haven't been watered for a long time so all or most are no longer alive but still on the property. Also there are two old sheds on north side of property but north property line appears to to through the sheds. Listing Agent is one of the Owners of the property.
Copyright © 2025 California Regional Multiple Listing Service, Inc. All rights reserved. All information provided by the listing agent/broker is deemed reliable but is not guaranteed and should be independently verified.
Search for detailed parcel information including; Elevation & Vegetation Maps, Ownership Information, Detailed Parcel Information, Crop History Map, Soil Survey Productivity Data, and more.
Research Parcel InformationIs this your property? Sell it faster with premium placement and targeted ads.