Is this your property? Sell it faster with premium placement and targeted ads.
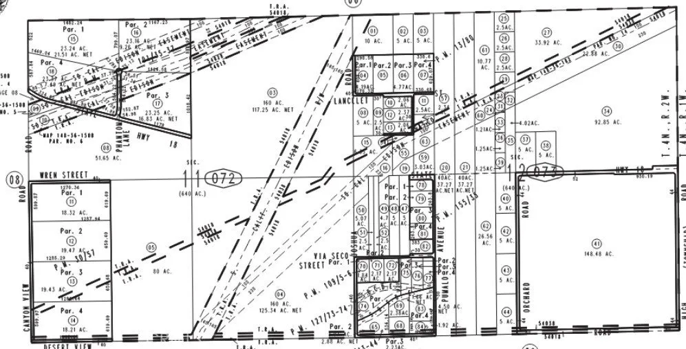
Discover the beauty of California's desert with this expansive 19.47-acre parcel on Canyon View Rd., Apple Valley, CA 92308. Priced attractively at $5,471+-per acre, this prime lot located close to Bear Valley Road and Highway 18 offers easy access and excellent visibility. The lot is rectangular and level, making it an ideal site for development or a peaceful rural retreat. Experience breathtaking views of the desert, majestic mountains, and expansive valleys from this tranquil location. Perfect for those seeking to escape the city and enjoy a serene desert ambiance, this property offers a unique opportunity to own a significant slice of picturesque land in a growing area. Nearest Power connection is located at the corner of Canyon View Rd and Desert View Ave This is a well area. County Jurisdiction, zoned Rural Living, allowing for 2.5 ac min lot sizes. buyer to do all their investiga...
Discover the beauty of California's desert with this expansive 19.47-acre parcel on Canyon View Rd., Apple Valley, CA 92308. Priced attractively at $5,471+-per acre, this prime lot located close to Bear Valley Road and Highway 18 offers easy access and excellent visibility. The lot is rectangular and level, making it an ideal site for development or a peaceful rural retreat. Experience breathtaking views of the desert, majestic mountains, and expansive valleys from this tranquil location. Perfect for those seeking to escape the city and enjoy a serene desert ambiance, this property offers a unique opportunity to own a significant slice of picturesque land in a growing area. Nearest Power connection is located at the corner of Canyon View Rd and Desert View Ave This is a well area. County Jurisdiction, zoned Rural Living, allowing for 2.5 ac min lot sizes. buyer to do all their investigations.
Copyright © 2025 California Regional Multiple Listing Service, Inc. All rights reserved. All information provided by the listing agent/broker is deemed reliable but is not guaranteed and should be independently verified.
Search for detailed parcel information including; Elevation & Vegetation Maps, Ownership Information, Detailed Parcel Information, Crop History Map, Soil Survey Productivity Data, and more.
Research Parcel InformationIs this your property? Sell it faster with premium placement and targeted ads.