Sign up
Log in
Results
View all 11 pictures
Size: 1.1 Acres
Type: Homesites

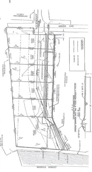
1.1 Acres in Stockton, CA - $439,000

Rare opportunity to own over an acre of residential land that has been approved to subdivide 1.1 acres into 6 residential lots. Utilities are on the property (not each lot) and a soil test has been completed. Subject property is close to schools, shopping and Highway 99. Sale includes properties 3704 E Miner Ave, APN 143-350-19 and 3666 E Miner, APN 143-350-21.

From elevation to risk assessment

Search for detailed parcel information including; Elevation & Vegetation Maps, Ownership Information, Detailed Parcel Information, Crop History Map, Soil Survey Productivity Data, and more.

Research Parcel Information
Contact Seller

CENTURY 21 Select Real Estate, Inc.

Tracy, CA

(209) 968-2929

Provided By

CENTURY 21 Select Real Estate, Inc., (209) 968-2929
Source: Century 21, MLS# 223001918
Listing last updated: March 26, 2023 at 12:47 PM
Listing last checked: October 10, 2025 at 5:30 AM
Report this listing

Other Land for Sale in San Joaquin County