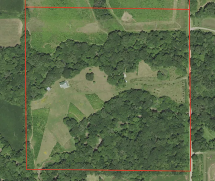
Are you looking to purchase a 40+/- acre property that has trees, views and water close to the Omaha and Lincoln metro area? This is one property you will want to see! Located just 10 miles west of Wahoo, Nebraska in what is called the Bohemian Alps lies one of the most unique recreational acreage properties I have seen in years. Upon entering the gated land you will instantly notice several giant Oak trees that have multiplied throughout the property. Some of these trees may be more than 200 years old. As you make your way up the lane, the current land owner has planted several apple, pear, cherry and nut trees to enhance the beauty of this property and supply delicious fruit and nuts for humans and the animals. There are numerous patches of wildflowers and native grasses that enhance the beauty of this property. Further down the lane sits the original 400SF home-cabin equipped w...
Are you looking to purchase a 40+/- acre property that has trees, views and water close to the Omaha and Lincoln metro area? This is one property you will want to see! Located just 10 miles west of Wahoo, Nebraska in what is called the Bohemian Alps lies one of the most unique recreational acreage properties I have seen in years. Upon entering the gated land you will instantly notice several giant Oak trees that have multiplied throughout the property. Some of these trees may be more than 200 years old. As you make your way up the lane, the current land owner has planted several apple, pear, cherry and nut trees to enhance the beauty of this property and supply delicious fruit and nuts for humans and the animals. There are numerous patches of wildflowers and native grasses that enhance the beauty of this property. Further down the lane sits the original 400SF home-cabin equipped with electrical service, fiber optic cable, private well and septic system. This home awaits your remodeling ideas and would make a modest guest house for visiting family and friends. There is an RV electrical hookup on the service pole just outside this cabin. As you proceed further west up the grassy lane there is a large 48x38 metal building that was built in 2011. This building was installed on a poured foundation with and additional 12" stem wall that allows for 2x6 exterior framing and insulation. This building features a large workshop area with 11ft garage door opening, a large wrap around wood deck, and 324sf insulated office area to do your work or to just relax and enjoy the wildlife through the large double hung windows. Electrical service and fiber optic cable have been run to this building. Watch the turkeys strut on the groomed open pastures that lead to two running creeks meandering through the grass and trees that give you plenty of places to stop and enjoy nature. Hunt whitetail deer, turkey, quail and pheasant from your privately placed tree stands or on the 4+/- acres of CRP land located on the north end of the property. The serenity you feel when you are on this property is hard to describe. Property being sold As-Is. There may be Seller Financing available. Additional acres may be available to acquire adjacent to this property. Call Brad Zach with Zachland Real Estate, Inc. for a private showing. Listing Broker must be present for all showings.
Search for detailed parcel information including; Elevation & Vegetation Maps, Ownership Information, Detailed Parcel Information, Crop History Map, Soil Survey Productivity Data, and more.
Research Parcel InformationFrom Omaha, Take Hwy 92 west past Wahoo to County Road 26, then north to the property. From Lincoln, Take Hwy 77 north to Hwy 92, then west to County Road 26, then north to the property.