Sign up
Log in
Results
View all 2 pictures
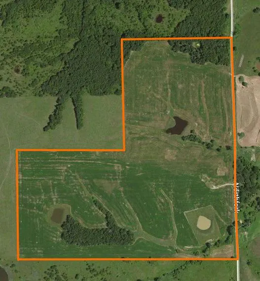
Size: 121 Acres

121 Acres in Downing, MO - $356,950

SALE PENDING!! Great investment farm!! Composed of 97 acres tillable earning $14,650 annually, additional $1,800 annual hunting lease available. Farms like this providing excellent returns are not easy to come by. Don't hesitate to call today for more details!!

From elevation to risk assessment

Search for detailed parcel information including; Elevation & Vegetation Maps, Ownership Information, Detailed Parcel Information, Crop History Map, Soil Survey Productivity Data, and more.

Research Parcel Information
Contact Seller
Ridgeline Sales Group, LLC

License #481014330

Pittsfield, IL

(217) 292-1124

Provided By

Ridgeline Sales Group, LLC, (217) 292-1124
Listing last updated: February 2, 2022 at 11:43 AM
Report this listing