Sign up
Log in
Results
View all 1 pictures

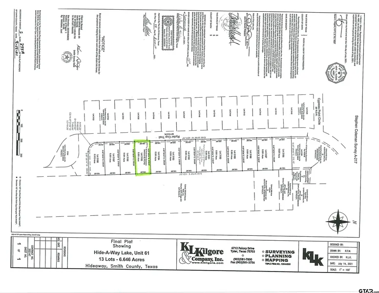
0.5 Acres in Hideaway, TX - $64,900

Newly platted lots across from the Golf Course in Hideaway Lake! Bring your plans and build your dream home near Hideaway's East Course, and live the resort-style life! With 24 hr security, gated entrance, unlimited golf, swimming, fishing, three lakes, tennis courts, parks, plus a clubhouse offering many events and activities, dining and all situated within Lindale ISD, an Exemplary School District! Located just off of Interstate 20 an easy commute to DFW and centrally located between the metroplex and Shreveport, Louisiana! With the larger city of Tyler located just a few minutes away, plus the growing community of Lindale providing shopping, dining, & live music venues. This is a perfect opportunity to live in a tucked away lake community, without comprising the convenience of having amenities near by!

From elevation to risk assessment

Search for detailed parcel information including; Elevation & Vegetation Maps, Ownership Information, Detailed Parcel Information, Crop History Map, Soil Survey Productivity Data, and more.

Research Parcel Information
Contact Seller

Better Homes and Gardens Real Estate I-20 Team

Lindale, TX

(903) 520-2264