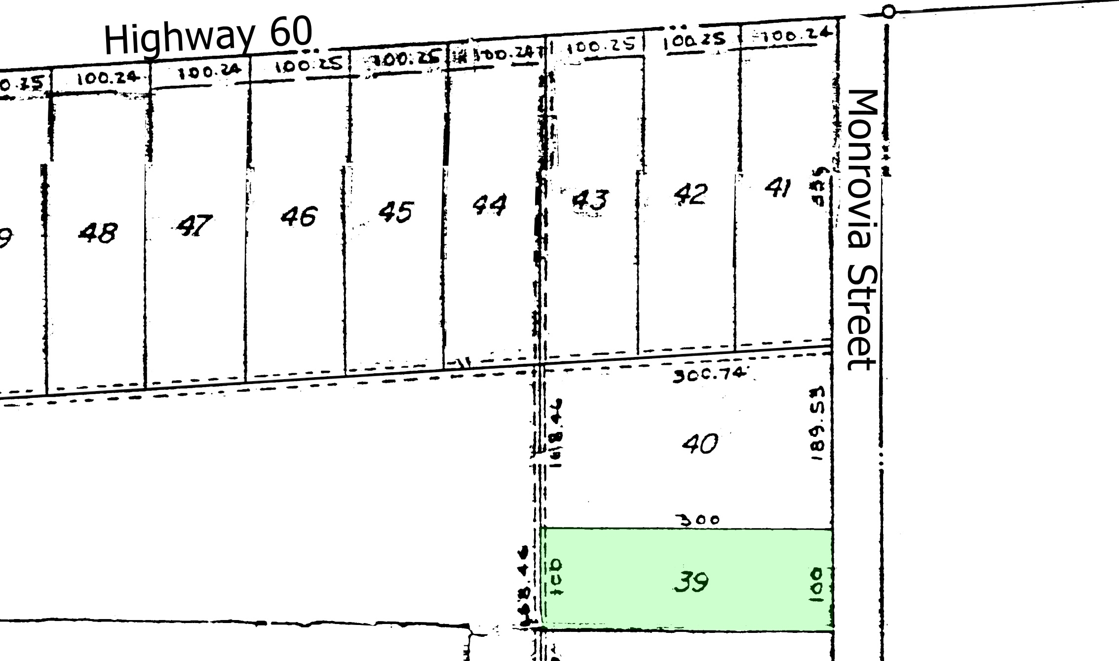
Rio Grande Estates is a mostly undeveloped subdivision in Socorro County, New Mexico. This property is Rio Grande Estates, Block 1009, Lot 39. Lot 39 is a fantastic property. Power is available, and it sits along Monrovia Street less than 200 yards from HIghway 60.
Lot 39 was originally laid out as a commercial lot, as indicated by the four digit block number. Highway 60 goes to the east past Amarillo, Texas. On its way through New Mexico it goes through Socorro, Datil, Encino, and Clovis. To the west it goes to and past Phoenix, Arizona.
There is no zoning in Socorro County. You are not limited to commercial uses for your property. This is virtually unrestricted land. You can RV or camp on your property indefinitely while you hold it for investment. There are no subdivision restrictions, you just have county and state regulations. There are no Property Owners Association ...
There is no zoning in Socorro County. You are not limited to commercial uses for your property. This is virtually unrestricted land. You can RV or camp on your property indefinitely while you hold it for investment. There are no subdivision restrictions, you just have county and state regulations. There are no Property Owners Association or Home Owners Association.
Lot 39 is approximately 0.69 acre. You might need a more modern alternative to conventional septic to get a building permit. You can consult a liquid waste professional. The New Mexico Environment Department and the New Mexico Construction Industries Division can advise you.
The mountain views are fantastic. You will be close to Los Lunas and Belen, and can ride on the passenger rail system for trips to Albuquerque and Santa Fe.
Everyone qualifies for the same financing, we do not run credit checks. With an initial payment of $294 ($99 down payment + $195 document fee) we will finance the balance for as little as $158.90 per month over 7 years. Or you can choose to buy the property outright instead of financing, and receive a 10% cash discount.
For more information or to purchase, please click on the Property Website link below, which is under Resources.
Search for detailed parcel information including; Elevation & Vegetation Maps, Ownership Information, Detailed Parcel Information, Crop History Map, Soil Survey Productivity Data, and more.
Research Parcel InformationFrom Los Lunas, go south on I-25 for 28 miles.
Take Exit 175 for US-60 E toward Bernardo / Mountainair.
Continue onto US-60 E.
7.8 miles later turn right onto Monrovia Street.
0.1 mile later you will be at Lot 39.