Sign up
Log in
Results
View all 4 pictures

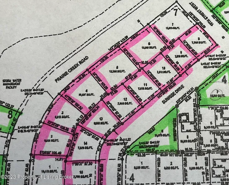
0.17 Acres in Dickinson, ND - $62,500

Are you looking for the perfect spot to build your dream home? Starting at $55,000, Prairie Creek Subdivision is an established neighborhood; offering lots that range from 6,960 SF - 17,628 SF. This is a prime location off of State Avenue and 21st Street W. Builders, call for potential opportunities!

From elevation to risk assessment

Search for detailed parcel information including; Elevation & Vegetation Maps, Ownership Information, Detailed Parcel Information, Crop History Map, Soil Survey Productivity Data, and more.

Research Parcel Information

Environmental Factors

Flood Factor ™
/ 10
Fire Factor ™
/ 10
Heat Factor ™
/ 10
Wind Factor ™
/ 10
Source:First Street
Contact Seller

CENTURY 21 Morrison Realty

Dickinson, ND

(701) 290-3560