Sign up
Log in
Results
View all 1 pictures

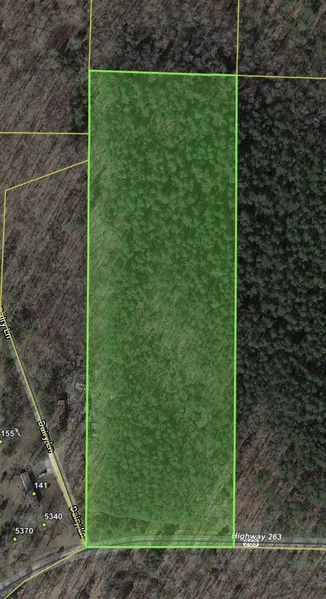
8 +/- Acres, Highway 263 Frontage, Prim, AR

This is a 8 +/- Acres, Wooded with Mature Timber, property sitting on highway 263. This would make a great place to build a house or maybe just use as a recreational place. Loaded with deer, turkey and the occasional bear. Listed with Mossy Oak Properties Strawberry River Land & Homes, 870-495-2123. Call Pamela Welch at 870-897-0700

From elevation to risk assessment

Search for detailed parcel information including; Elevation & Vegetation Maps, Ownership Information, Detailed Parcel Information, Crop History Map, Soil Survey Productivity Data, and more.

Research Parcel Information

Environmental Factors

Flood Factor ™
/ 10
Fire Factor ™
/ 10
Heat Factor ™
/ 10
Wind Factor ™
/ 10
Source:First Street

Resources

Links
Property Website
Contact Seller
Mossy Oak Properties Selling Arkansas

License #PB00078840

Cave City, AR

(870) 860-7831

Provided By

Mossy Oak Properties Selling Arkansas, (870) 860-7831
Listing last updated: February 7, 2022 at 5:44 AM
Report this listing

More by Pamela Welch