Sign up
Log in
Results
View all 6 pictures
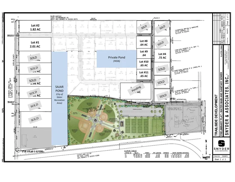
Size: 1.82 Acres
Type: Homesite

Is this your property? Sell it faster with premium placement and targeted ads.

1.82 Acres in Slater, IA - $169,450

Seize the opportunity to own one of the last two multi-acre lots available off 500th Street in Slater. These spacious parcels offer endless potential for your dream buildwhether that's a slab-on-grade barndominium or a large-scale custom home. With ample room for an additional oversized shed, you'll have the perfect setup for extra storage, a workshop, or hobby space. Currently offered as vacant land, each lot is a blank canvas ready to be transformed into so much more.

From elevation to risk assessment

Search for detailed parcel information including; Elevation & Vegetation Maps, Ownership Information, Detailed Parcel Information, Crop History Map, Soil Survey Productivity Data, and more.

Research Parcel Information
Contact Seller

CENTURY 21 Signature Real Estate

Ames, IA

(515) 290-7950

Matt M Sievers

CENTURY 21 Signature Real Estate
View Phone Number
i
By clicking the button, you agree to our Terms of Use and Privacy Policy.

Is this your property? Sell it faster with premium placement and targeted ads.

Provided By

CENTURY 21 Signature Real Estate, (515) 290-7950
Source: Century 21, MLS# 727578
Listing last updated: October 12, 2025 at 9:46 PM
Listing last checked: December 1, 2025 at 11:30 AM
Report this listing

Other Land for Sale in Story County