Sign up
Log in
Results
View all 1 pictures

Is this your property? Sell it faster with premium placement and targeted ads.

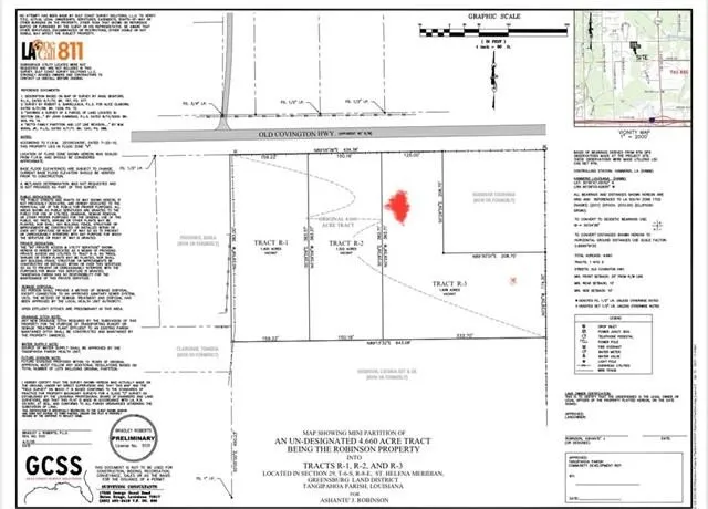
Vacant Land - Hammond, LA

1.938 acres. Recently surveyed. No Flood Zone-Flood Zone X. Wooded area, interstate, airport, shopping, downtown, Southeastern University within ten to fifteen minutes. No zoning, no mobile homes.

Copyright © 2025 Gulf South Real Estate Information Network. All rights reserved. All information provided by the listing agent/broker is deemed reliable but is not guaranteed and should be independently verified.

Read More

From elevation to risk assessment

Search for detailed parcel information including; Elevation & Vegetation Maps, Ownership Information, Detailed Parcel Information, Crop History Map, Soil Survey Productivity Data, and more.

Research Parcel Information
Contact Seller

Keller Williams Realty Services

Mandeville, LA

(985) 727-7000

SHANNON WELLS-GUIDRY

Keller Williams Realty Services
View Phone Number
i
By clicking the button, you agree to our Terms of Use and Privacy Policy.

Is this your property? Sell it faster with premium placement and targeted ads.

Provided By

Keller Williams Realty Services, (985) 727-7000
Source: ListHub, MLS# 2521699
Listing status: Active
Listing last updated: September 24, 2025 at 10:40 PM
Listing last checked: October 10, 2025 at 7:30 AM
Report this listing

Other Land for Sale in Tangipahoa Parish