Sign up
Log in
Results
View all 4 pictures

Is this your property? Sell it faster with premium placement and targeted ads.

COMMERCIAL - Chauvin, LA

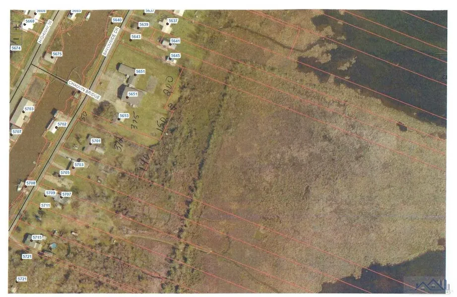
Great property site for hunting or camping unrestricted and wooded. Measurements are approximate from GIS Maps, See attached Map.

Copyright © 2026 Bayou Board of Realtors. All rights reserved. All information provided by the listing agent/broker is deemed reliable but is not guaranteed and should be independently verified.

Read More

From elevation to risk assessment

Search for detailed parcel information including; Elevation & Vegetation Maps, Ownership Information, Detailed Parcel Information, Crop History Map, Soil Survey Productivity Data, and more.

Research Parcel Information
Contact Seller

COLDWELL BANKER LARUSSA REAL ESTATE

License #4202

Houma, LA

(985) 804-3208

Veronica Voisin

COLDWELL BANKER LARUSSA REAL ESTATE
View Phone Number
By clicking the button, you agree to our Terms of Use and Privacy Policy.

Is this your property? Sell it faster with premium placement and targeted ads.