Sign up
Log in
Results
View all 1 pictures
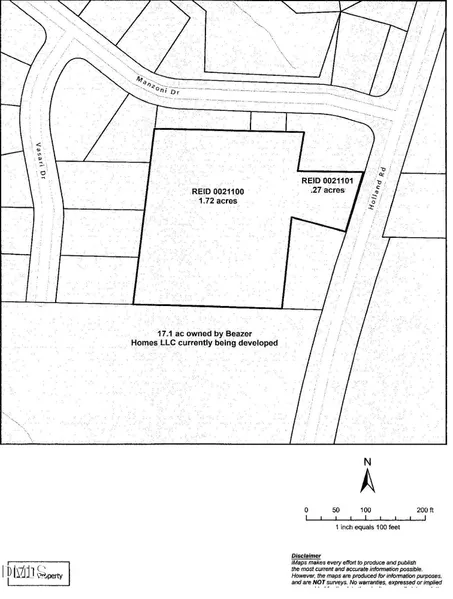
Size: 1.99 Acres

Is this your property? Sell it faster with premium placement and targeted ads.

1.99 Acres in Apex, NC - $900,000

Listing includes 2 parcels: Wake County REID 0021100 and 0021101 for a total of 1.99 acres. Property is surrounded by the Bella Casa neighborhood to the north and west and the new Beazer Homes LLC development to the south. Access to Holland Road is on the east side. Lot dimensions were taken from the Wake County GIS; there is no current survey available. There are 2 single wide trailers on the property, a detached garage, several other small sheds and the original homesite structure: none of which should not be entered. All structures are considered to be obsolete and of no value. Well and septic on site. County water and sewer close. There is a tenant living in the green trailer that has no ownership interest in the property.

From elevation to risk assessment

Search for detailed parcel information including; Elevation & Vegetation Maps, Ownership Information, Detailed Parcel Information, Crop History Map, Soil Survey Productivity Data, and more.

Research Parcel Information

Environmental Factors

Flood Factor ™
/ 10
Fire Factor ™
/ 10
Heat Factor ™
/ 10
Wind Factor ™
/ 10
Source:First Street

Is this your property? Sell it faster with premium placement and targeted ads.

Provided By

0
Source: ERA Real Estate, MLS# 10139179
Listing last updated: January 14, 2026 at 10:37 PM
Listing last checked: February 21, 2026 at 3:32 AM
Report this listing