Sign up
Log in
Results
View all 14 pictures
Size: 0.14 Acres

Is this your property? Sell it faster with premium placement and targeted ads.

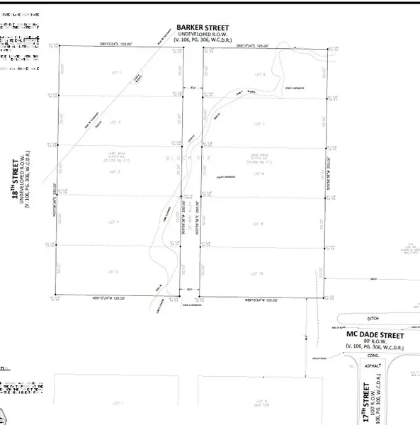
S519000 HEMPSTEAD BLK 512 LOT 1 THRU 10

The piece of land you have been dreaming about!!!! Build your dream home on this residential lot for sale in Hempstead, TX. Located just minutes from downtown, local shops, the new HEB that's being built, Prairie View University, restaurants and more, while offering peaceful surroundings and open space. This partially cleared, buildable lot is zoned residential and ideal for new construction. Buyer has the opportunity to purchase additional adjoining lots, with up to 10 total lots available from the seller—perfect for a custom build, multi-lot investment, or small residential development. Great opportunity in a growing area with long-term potential.

Copyright 2026 Houston Area Realtors. All rights reserved.

Read More

From elevation to risk assessment

Search for detailed parcel information including; Elevation & Vegetation Maps, Ownership Information, Detailed Parcel Information, Crop History Map, Soil Survey Productivity Data, and more.

Research Parcel Information

Is this your property? Sell it faster with premium placement and targeted ads.

Provided By

0
Source: Houston Area Realtors, MLS# 36243693
Listing last updated: February 18, 2026 at 7:44 PM
Listing last checked: February 25, 2026 at 9:20 PM
Report this listing