Sign up
Log in
Results
View all 2 pictures

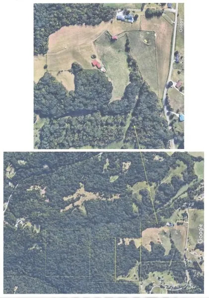
90 Acres in Belpre, OH - $450,000

90 acres of woods. Has not been timbered. sits among another 500 acres of woods. Owner has used for camping and hunting. Trees are white oak, red oak, 92% heavy wooded, there are some areas for food crops, multiple creeks. Established sanctuary for wild life, white tail deer and turkey.

From elevation to risk assessment

Search for detailed parcel information including; Elevation & Vegetation Maps, Ownership Information, Detailed Parcel Information, Crop History Map, Soil Survey Productivity Data, and more.

Research Parcel Information

Directions

S R 7 to Co Rd 3 by Catfish Pond. Approx 1 mile, turn right onto Barth Rd at church. Property is 1 1/2 mile on the right. Do not drive back driveway Call agent for more details.

Environmental Factors

Flood Factor ™
/ 10
Fire Factor ™
/ 10
Heat Factor ™
/ 10
Wind Factor ™
/ 10
Source:First Street
Contact Seller
Advantage Real Estate

License #2001012898

Marietta, OH

(740) 738-5863

Provided By

Advantage Real Estate, (740) 738-5863
Source: MLS# 3897099
Listing last updated: February 5, 2022 at 5:10 AM
Report this listing

More by Traci Strahler Chichester