Sign up
Log in
Results
View all 1 pictures

3.01 Acres in Farmington Hills, MI - $199,000

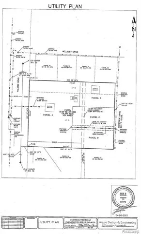
This property is part of 21120 Halsted (the parent parcel). The lot as outlined in the survey is subject to final approval by the City of Farmington Hills. There are three parcels, a result of a lot split from the parent parcel and will front on Prestwick Dr. (on the west side) across from 21098 Prestwick. to be known as lot B. The lot will have have 100 feet of frontage on Prestwick and extend back 200 feet for a total of 20,000 square feet. Across from 21102 Prestwick, to be known as lot C, the lot will have 100 feet of frontage on Prestwick and extend back 200 feet for a total of 20,000 square feet. Across from 21114 Prestwick, to be known as lot D, the lot will have 120 feet of frontage on Prestwick and extend back 167 feet for a total of 20,040 square feet. The price listing is for each lot of approximately 20,000 sq. feet.

From elevation to risk assessment

Search for detailed parcel information including; Elevation & Vegetation Maps, Ownership Information, Detailed Parcel Information, Crop History Map, Soil Survey Productivity Data, and more.

Research Parcel Information
Contact Seller

CENTURY 21 Professionals

Livonia, MI

(248) 982-9797