Sign up
Log in
Results
View all 6 pictures
Size: 7.42 Acres
Type: Land

Is this your property? Sell it faster with premium placement and targeted ads.

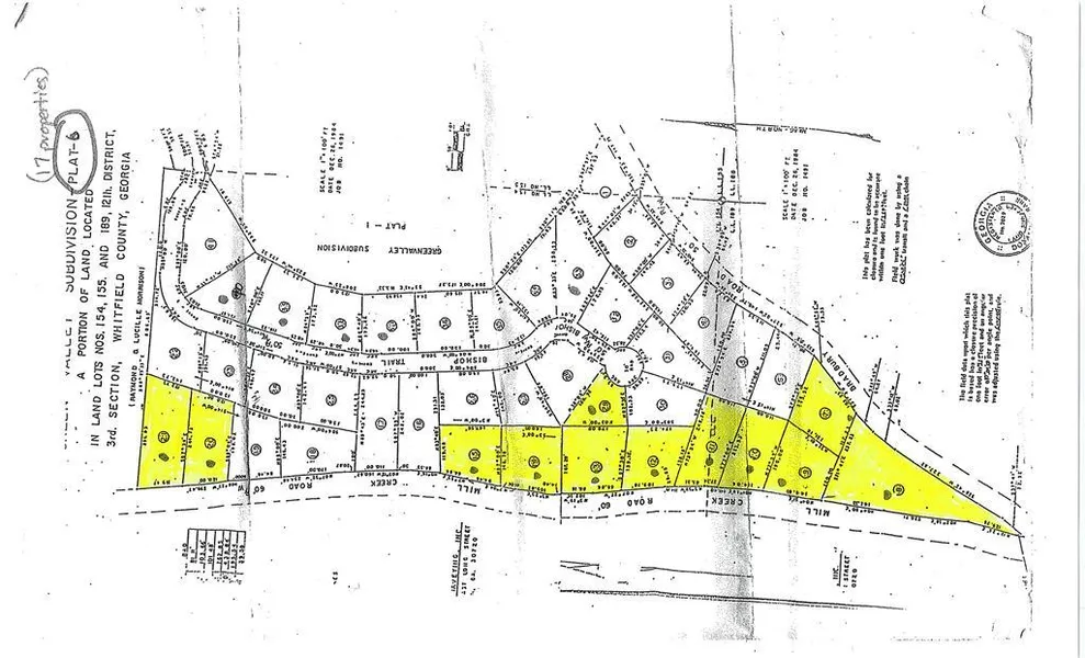
7.42 Acres in Rocky Face, GA - $252,000

Excellent opportunity to buy a group o f12 subdivision lots in an established subdivision located in a desirable area of Whitfield County, 3.3 miles from Interstate 75. All lots offered as a package, all platted and approved, city sewer available. No mobile homes, site built only, 1600 square foot minimum. Sale to include lots #7-.56 ac, #8- 1.22 ac, #9-.53 ac, #10-.53 ac, #11-.60 ac, #12-.57 ac, #13-.61 ac, #14-.59 ac, #15-.51 ac, #20-.61ac, #21-.75 ac, #29-.34 ac. Will not sell as individual lots, only as a package.

From elevation to risk assessment

Search for detailed parcel information including; Elevation & Vegetation Maps, Ownership Information, Detailed Parcel Information, Crop History Map, Soil Survey Productivity Data, and more.

Research Parcel Information
Contact Seller

Coldwell Banker Kinard Realty

Dalton, GA

(706) 280-2098

Patrick Jones

Coldwell Banker Kinard Realty
View Phone Number
i
By clicking the button, you agree to our Terms of Use and Privacy Policy.

Is this your property? Sell it faster with premium placement and targeted ads.

Provided By

Coldwell Banker Kinard Realty, (706) 280-2098
Source: Coldwell Banker, MLS# 125852
Listing last updated: December 19, 2025 at 1:38 PM
Listing last checked: December 31, 2025 at 3:30 AM
Report this listing

Other Land for Sale in Whitfield County