Sign up
Log in
Results
View all 2 pictures

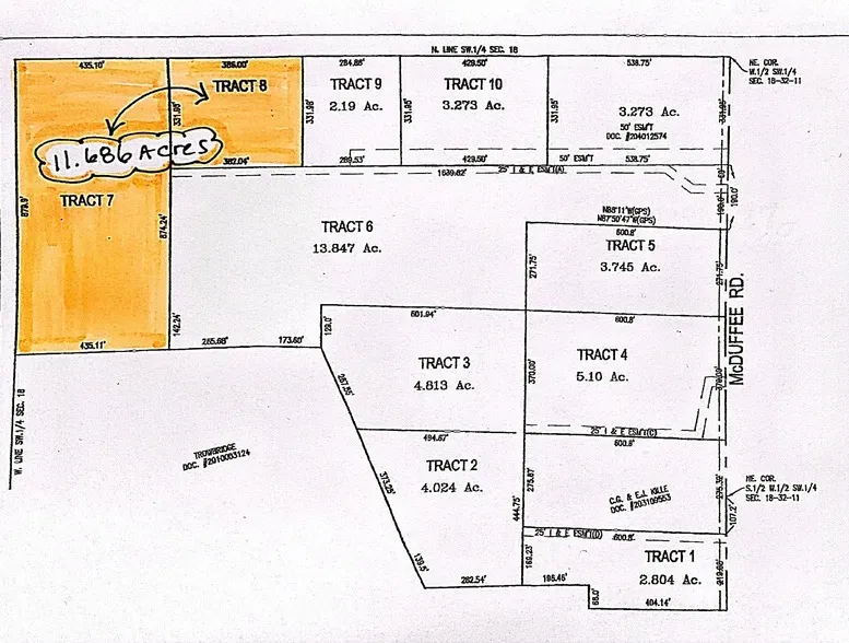
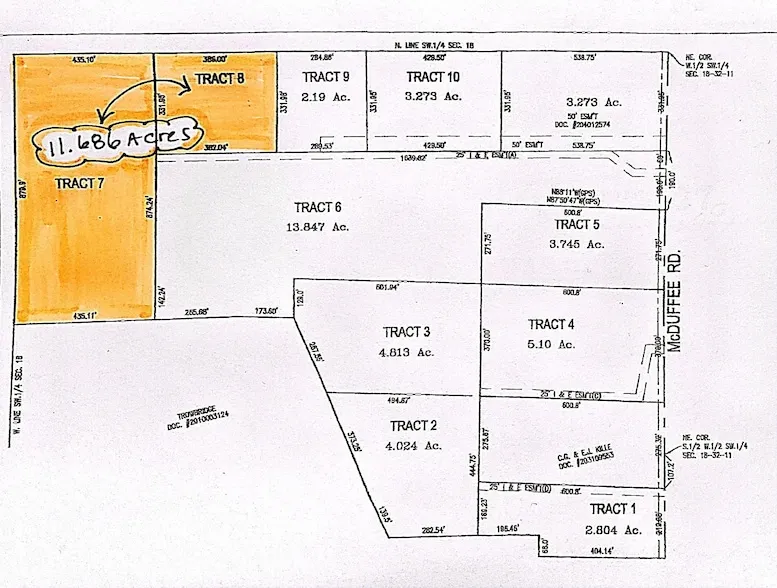
11.7 acres in Whitley County, IN

If you have been looking for LAND in the COUNTRY then THIS MIGHT BE IT! Northwest Allen County School District. There are additional lots available. Just outside of a SMALL TOWN with its conveniences, yet not far from the hustle bustle of Fort Wayne. Walking Property is by Appointment Only. *DO NOT PARK ON ANY DRIVEWAYS - THEY ARE NOT OWNED BY SELLER AND PRIVATELY OWNED BY ADJACENT PROPERTY OWNERS.

From elevation to risk assessment

Search for detailed parcel information including; Elevation & Vegetation Maps, Ownership Information, Detailed Parcel Information, Crop History Map, Soil Survey Productivity Data, and more.

Research Parcel Information

Directions

Take State Road 205 to McDuffee Road. Go South to the property.

Unlock the full LandWatch experience

Have an account?Sign In

Contact Seller

King Realty, LLC

License #RB14030519

Churubusco, IN

(260) 782-8634

Nikki King

King Realty, LLC
View Phone Number
By clicking the button, you agree to our Terms of Use and Privacy Policy.

Provided By

King Realty, LLC, (260) 782-8634
Source: Homes, MLS# 202512893
Listing last updated: October 25, 2025 at 7:34 AM
Listing last checked: October 24, 2025 at 6:01 AM
Report this listing

More by Nikki King