Sign up
Log in
Results
View all 30 pictures
Size: 81 Acres
Type: Land

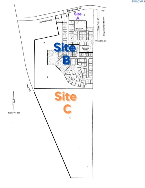
81 Acres in Pullman, WA - $1,950,000

MLS# 244455 Serene Summit. Approximately 81 acres on the south side of Wawawai Road east of Highway 195, within the city limits of Pullman. Zoned R-1 and C-1. Tax Parcel #: 814400000000015. Includes: A 1 acre commercial lot zoned C-1; and R-1 zoned and City approved 3 phase preliminary subdivision for 103 residential lots on approx 51 acres. Phase 1: 38 residential lots ranging from 8000 square feet to 2.4 acres (a hilltop lot) and the 1 acre commercial lot, with city approved civil engineering plans. Phase 2 & 3: 65 residential lots ranging from 7728 square feet to 4.2 acres. Also includes approximately 30 acres of un-platted land for future subdivision.

From elevation to risk assessment

Search for detailed parcel information including; Elevation & Vegetation Maps, Ownership Information, Detailed Parcel Information, Crop History Map, Soil Survey Productivity Data, and more.

Research Parcel Information
Contact Seller

Coldwell Banker Tomlinson Associates

Pullman, WA

(509) 334-0562

Provided By

Coldwell Banker Tomlinson Associates, (509) 334-0562
Source: Coldwell Banker, MLS# 244455
Listing last updated: February 6, 2022 at 10:06 AM
Listing last checked: October 10, 2025 at 5:30 AM
Report this listing

Other Land for Sale in Whitman County