Sign up
Log in
Results
View all 6 pictures

Is this your property? Sell it faster with premium placement and targeted ads.

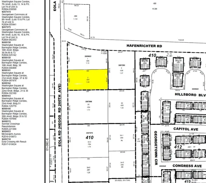
Commercial Sale - Aurora, IL

Great location, commercial lot is located just south of McDonald's and north of PNC Bank. Property features over 153 feet of frontage road and is 300 feet deep. Location would be great for a daycare, office/medical dental use, Beauty School, massage business, car/tool rental, mobile phone store, or any other business you may have in mind. Current owner does require some deed restrictions against a full service restaurant, quick service restaurant, marijuana dispensary, and pornographic material or entertainment business.

Copyright © 2025 Midwest Real Estate Data, LLC. All rights reserved. All information provided by the listing agent/broker is deemed reliable but is not guaranteed and should be independently verified.

Read More

From elevation to risk assessment

Search for detailed parcel information including; Elevation & Vegetation Maps, Ownership Information, Detailed Parcel Information, Crop History Map, Soil Survey Productivity Data, and more.

Research Parcel Information
Contact Seller

NTEG Realty LLC

License #475169437

Homer Glen, IL

(708) 428-5778

Richard Gorecki

NTEG Realty LLC
View Phone Number
i
By clicking the button, you agree to our Terms of Use and Privacy Policy.

Is this your property? Sell it faster with premium placement and targeted ads.

Provided By

NTEG Realty LLC, (708) 428-5778
Source: ListHub, MLS# 12510283
Listing status: Active
Listing last updated: November 4, 2025 at 5:55 PM
Listing last checked: November 4, 2025 at 5:30 PM
Report this listing

Other Land for Sale in Will County