Sign up
Log in
Results
View all 3 pictures
Size: 0.72 Acres
Type: Homesites

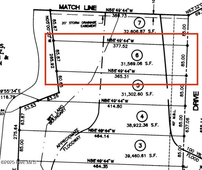
0.72 acres in Wilson County, NC

Great neighborhood & Location - Close to shops, restaurants, schools & hospital. No HOA. Zoned Single Family, Property is 85' wide street front & about 365.31' deep on one side. For Full Disclosure please see Restrictive Covenants Bk1506 Pg284-291. 50' Riparian Barrier from the bank of the Bloomery Swap. Per Wilson City GIS 500 Year Floodzone, 0.2 PCT ANNUAL CHANCE FLOOD HAZARD

From elevation to risk assessment

Search for detailed parcel information including; Elevation & Vegetation Maps, Ownership Information, Detailed Parcel Information, Crop History Map, Soil Survey Productivity Data, and more.

Research Parcel Information

Directions

Raleigh Rd, Airport Blvd NW to NC-42W/Tarboro Turn left onto NC-42/Tarboro St W, left onto Trace Drive. 3711 Trace Dr W is on your let (lot6)

Contact Seller

Our Town Properties Inc.

License #282461

Wilson, NC

(252) 600-2106

Cynthia Bannen

Our Town Properties Inc.
View Phone Number
By clicking the button, you agree to our Terms of Use and Privacy Policy.