Sign up
Log in
Results
View all 1 pictures
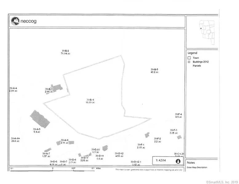
Size: 18.89 Acres

18.89 Acres in Ashford, CT - $279,900

Prime commercial real estate consisting of almost 19 acres on the corner of busy Route 74 and Route 44 allowing entrance and exit on both roads. Dollar general was just built across the street. Great location and visibility for many business.

From elevation to risk assessment

Search for detailed parcel information including; Elevation & Vegetation Maps, Ownership Information, Detailed Parcel Information, Crop History Map, Soil Survey Productivity Data, and more.

Research Parcel Information
Contact Seller

Coldwell Banker Residential Brokerage

South Windsor, CT

(860) 748-9768