ABSOLUTE AUCTION
Saturday, May 21st at 11:00am
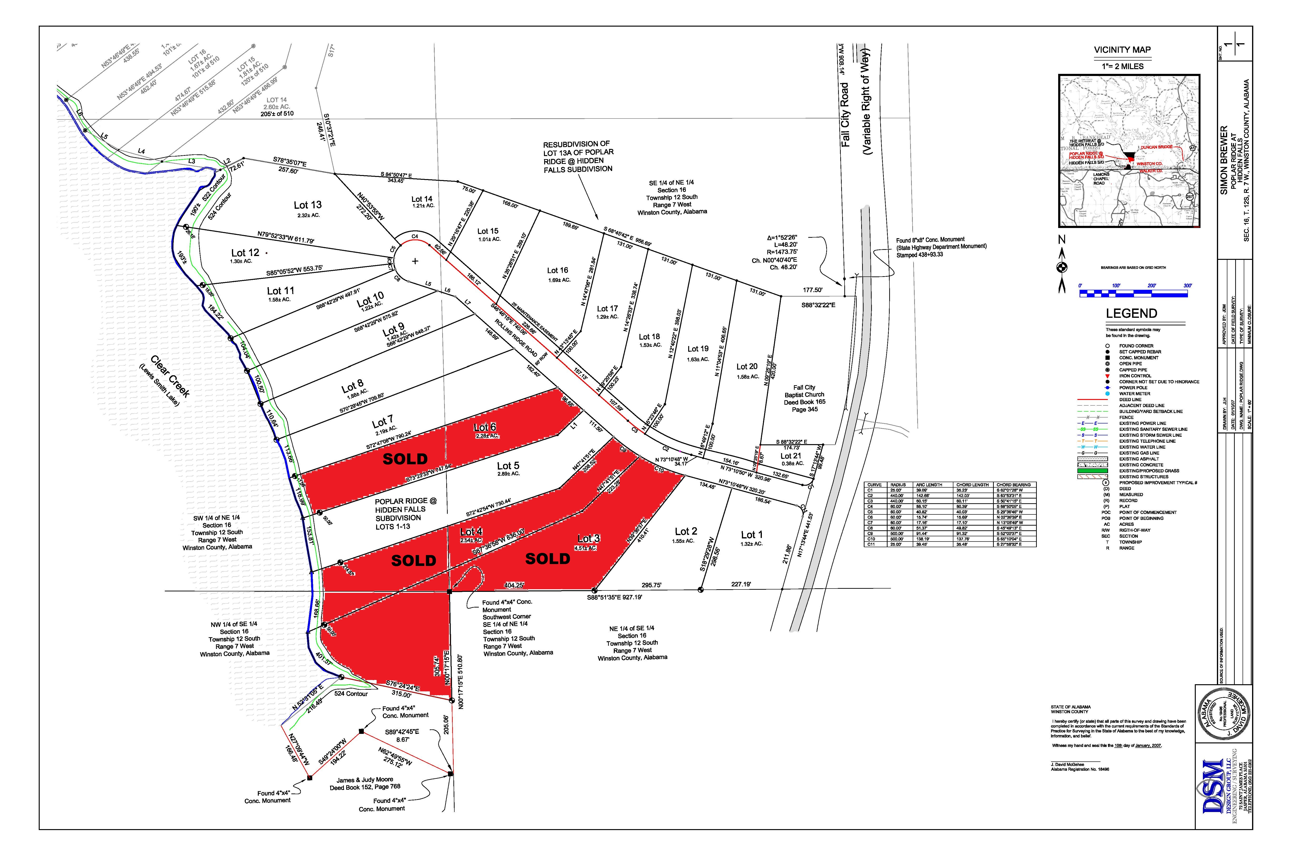
17 Lake Lots in Poplar Ridge at Hidden Falls Subdivision
8 Waterfront & 9 Water View Lots
Winston County (Jasper), AL
Selling Absolute No Minimums No Reserves
Restricted Waterfront Subdivision on Smith Lake
Large Wooded Home Sites, (from over 1 ac to almost 3 ac sites)
Dockable Deepwater Lots
Emerald Green Sparkling Deep Water
Unspoiled Views of Bankhead Natl Forest
Located on the beautiful Clear Creek area of Smith Lake just 8/10 mile to Clear Creek Recreational Area with Public Boat Launch
15 minutes to Jasper and 1 hr to Bham
Unlimited Recreational Opportunities
AUCTION INFORMATION:
Sale Date and Location: Saturday, May 21st at 11:00am, registration begins at 10:00am (CT). The property will be sold from the premises at Poplar Ridge at Hidden Falls Subdivision.
Terms of Sale: 10% down due on auction day with the bala...
Terms of Sale: 10% down due on auction day with the balance due at closing within 30 days.
Property Information: Additional information is available on our website.
Buyers Premium: A 10% Buyers Premium will be added to the final bid to determine the total contract price paid by the purchaser.
Property Inspection: An auction representative will be onsite May 15th and 20th from 11:00am 4:00pm or by appointment.
Buyer Broker Participation: Buyer Broker Guidelines are available on our website.
Search for detailed parcel information including; Elevation & Vegetation Maps, Ownership Information, Detailed Parcel Information, Crop History Map, Soil Survey Productivity Data, and more.
Research Parcel InformationDirections: From Jasper at AL 195 and 69 take 195 North 4.8 miles, turn right on County Road 27 / Fall City Road, go 7.6 miles to entrance of Poplar Ridge.